Connect

Find us on...

Dashboard

Login using...

Shawn Bengtson

Office Broker - DRE 01236964

  • Office 760-805-7199
Questions?

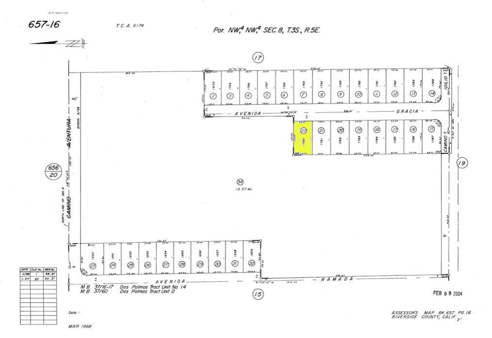
Avenida Garcia, Desert Hot Springs – $35,000

  • $35k Price
  • .17 Acres
  • 124 DOM
  • $35k Price
  • .17 Acres
  • 124 DOM

Avenida Garcia

Discover an incredible opportunity to own a prime piece of land on Avenida Gracia in Desert Hot Springs, CA 92240, APN: 657-160-022. This ideally situated lot is nestled in a rapidly growing residential neighborhood just minutes from shopping, dining, and relaxing mineral hot springs resorts. Surrounded by established homes and offering breathtaking views of the surrounding mountains, this parcel provides the perfect blend of convenience and serenity. With easy access to nearby main roads like Pierson Blvd and Palm Dr, you'll enjoy smooth connectivity to local amenities, schools, and parks, all while being just a short drive from the heart of Palm Springs. Don't miss your chance to invest in this highly desirable location with endless potential. ****No soils reports, surveys, etc., have been done. Buyer and buyer's agent to verify all information with the city or county for allowable uses and requirements and rely on their own investigations. **Buyer responsible for checking zoning, utilities, permits and exact property boundaries. ****

Essential Information

  • MLS® #219133944DA
  • Price$35,000
  • Bathrooms0.00
  • Acres0.17
  • TypeLand
  • StatusActive

Community Information

  • AddressAvenida Garcia
  • Area340 - Desert Hot Springs
  • SubdivisionNot Applicable-1
  • CityDesert Hot Springs
  • CountyRiverside
  • Zip Code92240

Amenities

  • ViewDesert, Mountain(s), Panoramic

Additional Information

  • Date ListedAugust 13th, 2025
  • Days on Market124

Listing Details

  • AgentSteve Welty
  • OfficeSteve Welty & Associates Inc
Please provide a valid email address.

Steve Welty, Steve Welty & Associates Inc.

Based on information from California Regional Multiple Listing Service, Inc. as of December 15th, 2025 at 6:35am PST. This information is for your personal, non-commercial use and may not be used for any purpose other than to identify prospective properties you may be interested in purchasing. Display of MLS data is usually deemed reliable but is NOT guaranteed accurate by the MLS. Buyers are responsible for verifying the accuracy of all information and should investigate the data themselves or retain appropriate professionals. Information from sources other than the Listing Agent may have been included in the MLS data. Unless otherwise specified in writing, Broker/Agent has not and will not verify any information obtained from other sources. The Broker/Agent providing the information contained herein may or may not have been the Listing and/or Selling Agent.