Connect

Find us on...

Dashboard

Login using...

Shawn Bengtson

Office Broker - DRE 01236964

  • Office 760-805-7199
Questions?

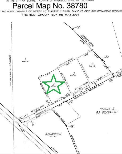
1 Acre On Wells Road, Blythe – $49,800

  • $49.8k Price
  • 1 Acres
  • 67 DOM
  • $49.8k Price
  • 1 Acres
  • 67 DOM

1 Acre On Wells Road

Tucked next to the fairway and close to the clubhouse, this well-located lot offers scenic surroundings without the golf course premium. Ideal for a custom home in a relaxed golf community. A great opportunity to enjoy the golf lifestyle at an unbeatable price.*** Buyer and buyer's agent to check all information with the city or county for allowable uses and requirements and rely on their own investigations. Buyer is responsible for checking zoning, utilities, permits and exact property boundaries.

Essential Information

  • MLS® #219137179DA
  • Price$49,800
  • Bathrooms0.00
  • Acres1.00
  • TypeLand
  • StatusActive

Community Information

  • Address1 Acre On Wells Road
  • Area374 - Blythe
  • SubdivisionNot Applicable-1
  • CityBlythe
  • CountyRiverside
  • Zip Code92225

Amenities

View

Desert, Golf Course, Hills, Mountain(s)

Exterior

Lot Description

Close to Clubhouse, Irregular Lot

Additional Information

  • Date ListedOctober 15th, 2025
  • Days on Market67

Listing Details

  • AgentJohn Osborne
  • OfficeOsborne Realty
Please provide a valid email address.

John Osborne, Osborne Realty.

Based on information from California Regional Multiple Listing Service, Inc. as of December 25th, 2025 at 4:45am PST. This information is for your personal, non-commercial use and may not be used for any purpose other than to identify prospective properties you may be interested in purchasing. Display of MLS data is usually deemed reliable but is NOT guaranteed accurate by the MLS. Buyers are responsible for verifying the accuracy of all information and should investigate the data themselves or retain appropriate professionals. Information from sources other than the Listing Agent may have been included in the MLS data. Unless otherwise specified in writing, Broker/Agent has not and will not verify any information obtained from other sources. The Broker/Agent providing the information contained herein may or may not have been the Listing and/or Selling Agent.