Connect

Find us on...

Dashboard

Login using...

Shawn Bengtson

Office Broker - DRE 01236964

  • Office 760-805-7199
Questions?

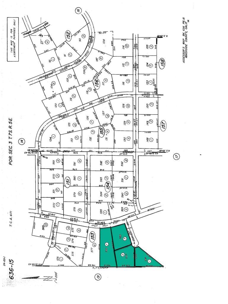
1 Zurich Drive, Mountain Center – $140,000

  • $140k Price
  • 4.69 Acres
  • 79 DOM
  • $140k Price
  • 4.69 Acres
  • 79 DOM

1 Zurich Drive

New Listing - ZERO DOWN PAYMENT FINANCING to build your dream home or homes on 4 parcels of land!!! This best land opportunity on the local market features 4 parcels of land consisting of 4.69 Acres of spectacular views with a well and utilities nearby providing the ideal spot to build your dream home. All of these parcels have incredible views. These properties border government land to the west, so no one can build near you. This offering presents endless possibilities for development, investment, or creating your dream retreat.Best of all, you can buy the lots and construct your home with NO DOWN PAYMENT and no special qualifying criteria. It is located only a short 25-minute drive up the hill from downtown Palm Desert. You will be impressed with the abundant indigenous landscaping which includes rare native pinyon pine trees, manzanita bushes and other plants that will bloom colors in the springtime. This property is an idyllic retreat for those seeking peace and proximity with nearby modern amenities. There are spectacular mountain views and amazing sunsets with an average temperature about 20 degrees cooler than the Coachella Valley. Snow falls a few times during winter which provides stunning snowscapes. For utilities, Anza Electric is a non-profit co-op which means your electricity cost is about half of what Edison charges. High-speed internet is also available for a very modest price. Call me for a tour or more details!Here's a link to the special USDA 0 down payment financing:https://usdaproperties.com/states/CA/cities/Pinyon_Pines/?

Essential Information

  • MLS® #219137766DA
  • Price$140,000
  • Bathrooms0.00
  • Acres4.69
  • TypeLand
  • StatusActive

Community Information

  • Address1 Zurich Drive
  • SubdivisionAlpine Village/Pyn P
  • CityMountain Center
  • CountyRiverside
  • Zip Code92561

Area

326 - Pinyon Pines, Garner Valley

Amenities

  • ViewHills, Mountain(s)

Utilities

Electricity Available, Natural Gas Available, Phone Available, Sewer Not Available

Exterior

Lot Description

TwoToFiveUnitsAcre, Agricultural, Corner Lot

Additional Information

  • Date ListedOctober 26th, 2025
  • Days on Market79

Listing Details

  • AgentLeonard Bustos
  • OfficeMoving Results Realty
Please provide a valid email address.

Leonard Bustos, Moving Results Realty.

Based on information from California Regional Multiple Listing Service, Inc. as of January 17th, 2026 at 8:30pm PST. This information is for your personal, non-commercial use and may not be used for any purpose other than to identify prospective properties you may be interested in purchasing. Display of MLS data is usually deemed reliable but is NOT guaranteed accurate by the MLS. Buyers are responsible for verifying the accuracy of all information and should investigate the data themselves or retain appropriate professionals. Information from sources other than the Listing Agent may have been included in the MLS data. Unless otherwise specified in writing, Broker/Agent has not and will not verify any information obtained from other sources. The Broker/Agent providing the information contained herein may or may not have been the Listing and/or Selling Agent.