Connect

Find us on...

Dashboard

Login using...

Shawn Bengtson

Office Broker - DRE 01236964

  • Office 760-805-7199
Questions?

35335 Via Josefina, Rancho Mirage – $4,250,000

  • $4.3M Price
  • 5 Acres
  • 133 DOM
  • $4.3M Price
  • 5 Acres
  • 133 DOM

35335 Via Josefina

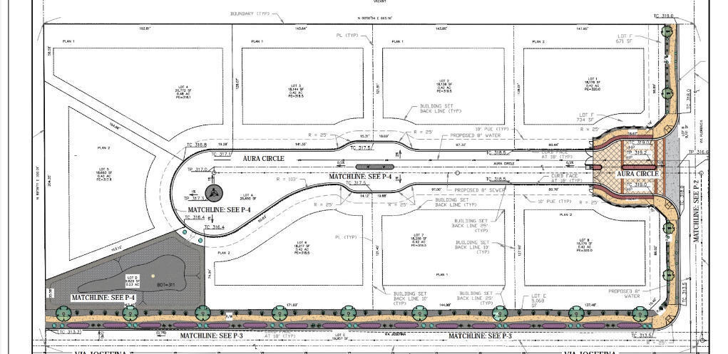
5 Acre parcel of land in the heart of Rancho Mirage, fully permitted subdivision of 8 buildable lots! Panoramic mountain views. 8 lots, between 0.41 and 0.48 acres. Small home on property now, occupied, that will need to be removed prior to building subdivision.3 blocks from Cotino by Disney. A day pass away from their spectacular lagoon, shopping and dining! Call agent for further details. Please check with city of Rancho Mirage for all building and utilities requirements.Jeri Rice 206 240 5324 Royale Real Estate.Cal BRE #02143288

Essential Information

  • MLS® #219138167DA
  • Price$4,250,000
  • Bathrooms0.00
  • Acres5.00
  • TypeLand
  • StatusActive

Community Information

  • Address35335 Via Josefina
  • Area321 - Rancho Mirage
  • SubdivisionNot Applicable-1
  • CityRancho Mirage
  • CountyRiverside
  • Zip Code92270

Amenities

  • ViewMountain(s), Panoramic, Desert

Additional Information

  • Date ListedNovember 4th, 2025
  • Days on Market133

Listing Details

  • AgentJeri Rice
  • OfficeRoyale Real Estate
Please provide a valid email address.

Price Change History for 35335 Via Josefina, Rancho Mirage, (MLS® #219138167DA)

Date Details Change
Price Increased from $3,500,000 to $4,250,000 $750,000 (21.43%)

Jeri Rice, Royale Real Estate.

Based on information from California Regional Multiple Listing Service, Inc. as of March 24th, 2026 at 9:50am PDT. This information is for your personal, non-commercial use and may not be used for any purpose other than to identify prospective properties you may be interested in purchasing. Display of MLS data is usually deemed reliable but is NOT guaranteed accurate by the MLS. Buyers are responsible for verifying the accuracy of all information and should investigate the data themselves or retain appropriate professionals. Information from sources other than the Listing Agent may have been included in the MLS data. Unless otherwise specified in writing, Broker/Agent has not and will not verify any information obtained from other sources. The Broker/Agent providing the information contained herein may or may not have been the Listing and/or Selling Agent.