Connect

Find us on...

Dashboard

Login using...

Shawn Bengtson

Office Broker - DRE 01236964

  • Office 760-805-7199
Questions?

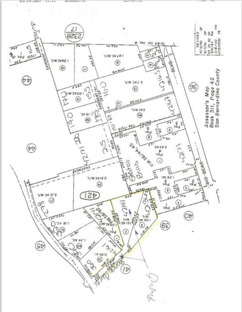
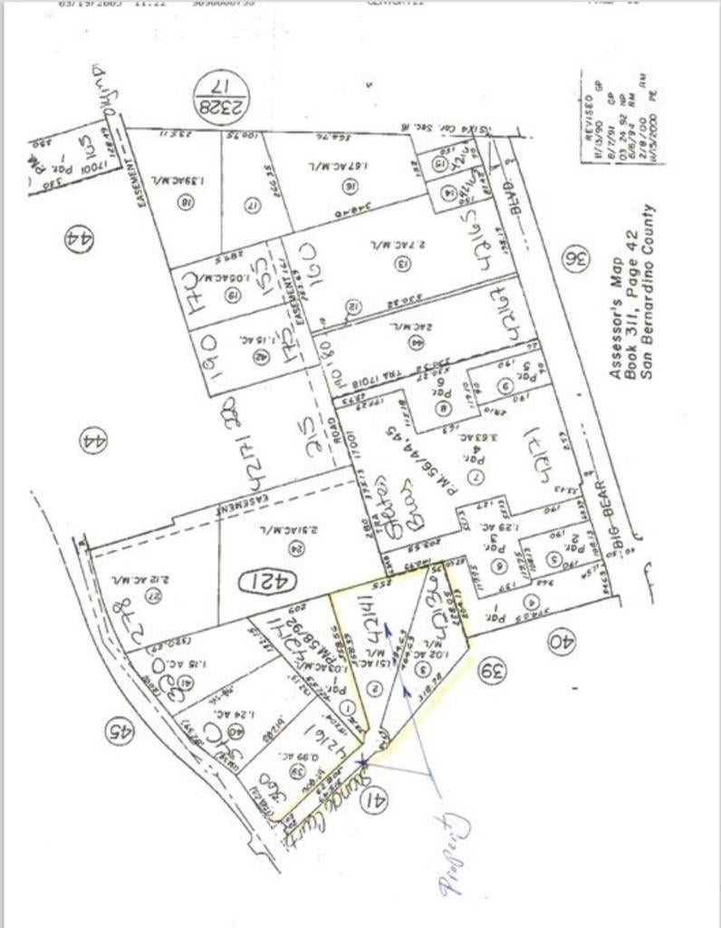
42136 Scandia Court, Big Bear – $850,000

  • $850k Price
  • 1.51 Acres
  • 41 DOM
  • $850k Price
  • 1.51 Acres
  • 41 DOM

42136 Scandia Court

Pre-Approved for R-4 Multi-Family Residential Zoning (Workforce Housing)!! This remarkable 2.53-acre undeveloped property boasts stunning views and is conveniently located behind the Stater Bros. shopping center, directly across from the Castle Glen entrance on Starvation Flats. Recently reviewed by the City of Big Bear Lake, it has been identified as a promising site for a new housing project! The offering includes plans for 56 units in a variety of modern, mountain-style apartment configurations, along with a recreation center, administrative center, guest parking, and snow removal storage. The list price encompasses architectural renderings, surveys, a letter from the City Planner, and maps. Also the option to build four custom homes. These two parcels provide a fantastic blend of wooded land and native boulders, featuring untouched foliage and high rolling hills that frame panoramic views of the lake, forest, and blue skies! Although currently off-grid, utilities are conveniently located nearby. This is truly a builder's dream, featuring multilevel graded areas, a mix of slopes, and flat land.

Essential Information

  • MLS® #219143485DA
  • Price$850,000
  • Bathrooms0.00
  • Acres1.51
  • TypeLand
  • StatusActive

Community Information

  • Address42136 Scandia Court
  • Area289 - Big Bear Area
  • SubdivisionNot Applicable-1
  • CityBig Bear
  • CountySan Bernardino
  • Zip Code92315

Amenities

  • ViewLake, Mountain(s), Trees/Woods

Utilities

Electricity Available, Sewer Available

Additional Information

  • Date ListedFebruary 4th, 2025
  • Days on Market41

Listing Details

  • AgentIsrael Barden
  • OfficeRe/Max Area Experts
Please provide a valid email address.

Israel Barden, Re/Max Area Experts.

Based on information from California Regional Multiple Listing Service, Inc. as of April 1st, 2026 at 9:30pm PDT. This information is for your personal, non-commercial use and may not be used for any purpose other than to identify prospective properties you may be interested in purchasing. Display of MLS data is usually deemed reliable but is NOT guaranteed accurate by the MLS. Buyers are responsible for verifying the accuracy of all information and should investigate the data themselves or retain appropriate professionals. Information from sources other than the Listing Agent may have been included in the MLS data. Unless otherwise specified in writing, Broker/Agent has not and will not verify any information obtained from other sources. The Broker/Agent providing the information contained herein may or may not have been the Listing and/or Selling Agent.