Connect

Find us on...

Dashboard

Login using...

Shawn Bengtson

Office Broker - DRE 01236964

  • Office 760-805-7199
Questions?

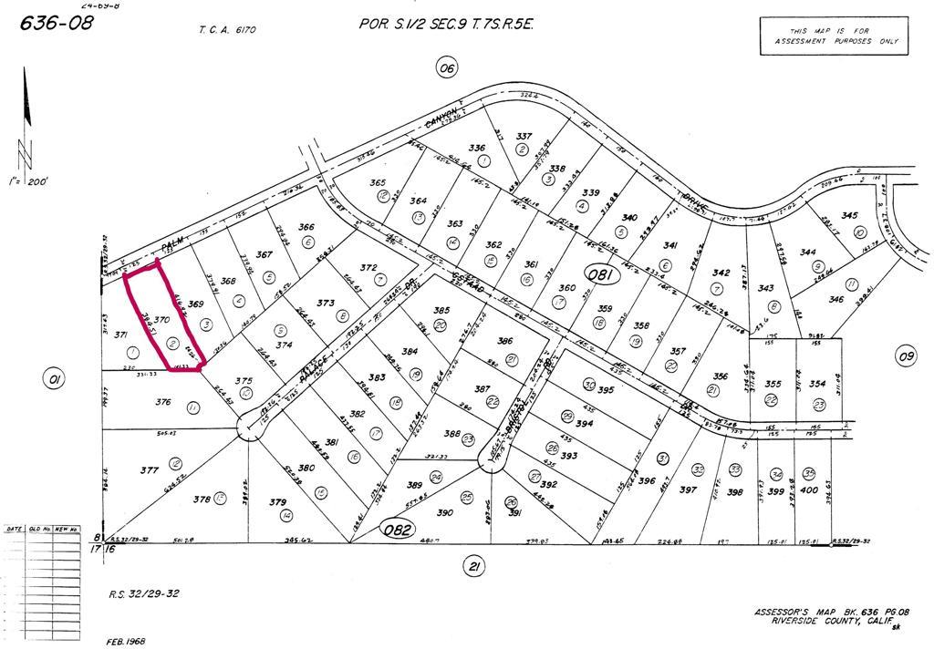
Palace Drive, Mountain Center – $24,000

  • $24k Price
  • 1.9 Acres
  • 12 DOM
  • $24k Price
  • 1.9 Acres
  • 12 DOM

Palace Drive

The largest of the three available lots, this expansive 1.90-acre parcel in Mountain Center presents a beautiful setting for a private residence or future hideaway. Located in a quiet, undeveloped area just off Highway 74, this lot features elevated terrain, views of the surrounding mountains, and a true sense of seclusion--while still being just minutes from Palm Desert and Idyllwild. Surrounded by natural rock formations and open skies, it's an ideal spot for someone looking to create a unique, custom mountain retreat. Buyer to verify all utility availability, building restrictions, and zoning requirements with Riverside County. Two smaller adjoining parcels also available. Optional Combined Opportunity: For buyers seeking even more space, this parcel can be purchased along with adjacent lots (APNs 636-082-001 and 636-082-002) for a total of approximately 4.11 acres.

Essential Information

  • MLS® #219143661DA
  • Price$24,000
  • Bathrooms0.00
  • Acres1.90
  • TypeLand
  • StatusActive

Community Information

  • AddressPalace Drive
  • Area324 - East Palm Desert
  • SubdivisionRegency Estates
  • CityMountain Center
  • CountyRiverside
  • Zip Code92561

Amenities

  • ViewHills, Mountain(s)

Additional Information

  • Date ListedJune 11th, 2025
  • Days on Market12

Listing Details

  • AgentMaria Vivanco

Office

Better Homes and Gardens Real Estate

Please provide a valid email address.

Maria Vivanco, Better Homes and Gardens Real Estate.

Based on information from California Regional Multiple Listing Service, Inc. as of March 7th, 2026 at 9:15am PST. This information is for your personal, non-commercial use and may not be used for any purpose other than to identify prospective properties you may be interested in purchasing. Display of MLS data is usually deemed reliable but is NOT guaranteed accurate by the MLS. Buyers are responsible for verifying the accuracy of all information and should investigate the data themselves or retain appropriate professionals. Information from sources other than the Listing Agent may have been included in the MLS data. Unless otherwise specified in writing, Broker/Agent has not and will not verify any information obtained from other sources. The Broker/Agent providing the information contained herein may or may not have been the Listing and/or Selling Agent.