Connect

Find us on...

Dashboard

Login using...

Shawn Bengtson

Office Broker - DRE 01236964

  • Office 760-805-7199
Questions?

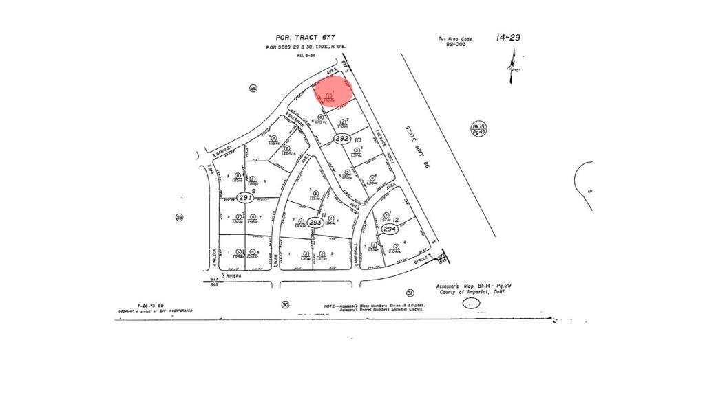
2019 Service Road, Thermal – $115,000

  • $115k Price
  • 1.37 Acres
  • 17 DOM
  • $115k Price
  • 1.37 Acres
  • 17 DOM

2019 Service Road

Exceptional Development Opportunity with Salton Sea Views. Discover the potential of this 1.37 acre parcel at 2019 Service Rd. in Thermal, CA, offering a rare blend of size, location, and future upside. This generously sized lot provides an excellent opportunity to subdivide and develop multiple homes, making it ideal for builders, investors, or owner users looking to capitalize on a growing market. Enjoy easy access to Highway 86, ensuring convenient connectivity throughout the Coachella Valley, while taking in expansive views of the Salton Sea a unique and increasingly sought after backdrop. Utilities are nearby, allowing for efficient connection to the power grid and smoother development planning. The property is centrally located close to town, with nearby shopping, dining, and entertainment, including Red Earth Casino, and just minutes from the heart of the Coachella Valley. Beyond its immediate appeal, this area is positioned for long term growth, fueled by emerging lithium and clean-energy employment opportunities that are bringing increased demand and economic momentum to the region. Whether you're seeking a smart investment, a development project, or a pathway to homeownership in an expanding market, this parcel offers exceptional value and vision for the future.

Essential Information

  • MLS® #219143736DA
  • Price$115,000
  • Bathrooms0.00
  • Acres1.37
  • TypeLand
  • StatusActive

Community Information

  • Address2019 Service Road
  • Area316 - Thermal
  • SubdivisionThermal
  • CityThermal
  • CountyImperial
  • Zip Code92274

Amenities

  • ViewPanoramic

Additional Information

  • Date ListedFebruary 24th, 2026
  • Days on Market17

Listing Details

  • AgentChristian Matadama
  • OfficeInnovate Desert Realty
Please provide a valid email address.

Christian Matadama, Innovate Desert Realty.

Based on information from California Regional Multiple Listing Service, Inc. as of March 13th, 2026 at 10:30am PDT. This information is for your personal, non-commercial use and may not be used for any purpose other than to identify prospective properties you may be interested in purchasing. Display of MLS data is usually deemed reliable but is NOT guaranteed accurate by the MLS. Buyers are responsible for verifying the accuracy of all information and should investigate the data themselves or retain appropriate professionals. Information from sources other than the Listing Agent may have been included in the MLS data. Unless otherwise specified in writing, Broker/Agent has not and will not verify any information obtained from other sources. The Broker/Agent providing the information contained herein may or may not have been the Listing and/or Selling Agent.