Connect

Find us on...

Dashboard

Login using...

Shawn Bengtson

Office Broker - DRE 01236964

  • Office 760-805-7199
Questions?

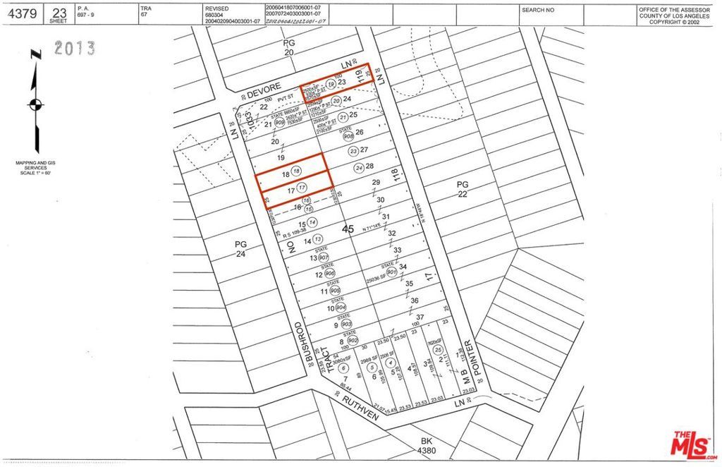
2420 N Bushrod Lane, Los Angeles – $49,000

  • $49k Price
  • .17 Acres
  • 213 DOM
  • $49k Price
  • .17 Acres
  • 213 DOM

2420 N Bushrod Lane

APN 4379-023-017, 018, & 019. Unique opportunity to acquire three lots sold together in prime Bel Air, totaling appx 7,523 SF and zoned LARE40. Two of the lots are contiguous, totaling 5,014 SF, while the third lot (appx 2,509 SF) is located nearby. Situated in one of Los Angeles' most sought-after neighborhoods, these lots offer a tranquil setting just a short drive from Sunset Boulevard, with easy access to Beverly Hills, West LA, Century City, and Brentwood. Please note: these are paper street lots, meaning they currently do not have direct road access. To develop, a buyer would need to pave a road from the nearest access point on Bushrod Lane to the property. Ideal for a visionary investor or builder looking to secure a foothold in Bel Air with long-term potential.

Essential Information

  • MLS® #25536903
  • Price$49,000
  • Bathrooms0.00
  • Acres0.17
  • TypeLand
  • StatusActive

Community Information

  • Address2420 N Bushrod Lane
  • AreaC04 - Bel Air - Holmby Hills
  • CityLos Angeles
  • CountyLos Angeles
  • Zip Code90077

Amenities

  • ViewCanyon

Additional Information

  • Date ListedMay 9th, 2025
  • Days on Market213
  • ZoningLARE40

Listing Details

  • AgentShawn S. Kormondy
  • OfficeKeller Williams Beverly Hills
Please provide a valid email address.

Shawn S. Kormondy, Keller Williams Beverly Hills.

Based on information from California Regional Multiple Listing Service, Inc. as of December 21st, 2025 at 4:11am PST. This information is for your personal, non-commercial use and may not be used for any purpose other than to identify prospective properties you may be interested in purchasing. Display of MLS data is usually deemed reliable but is NOT guaranteed accurate by the MLS. Buyers are responsible for verifying the accuracy of all information and should investigate the data themselves or retain appropriate professionals. Information from sources other than the Listing Agent may have been included in the MLS data. Unless otherwise specified in writing, Broker/Agent has not and will not verify any information obtained from other sources. The Broker/Agent providing the information contained herein may or may not have been the Listing and/or Selling Agent.