Connect

Find us on...

Dashboard

Login using...

Shawn Bengtson

Office Broker - DRE 01236964

  • Office 760-805-7199
Questions?

140 N L Street, Needles – $65,000

  • $65k Price
  • .36 Acres
  • 151 DOM
  • $65k Price
  • .36 Acres
  • 151 DOM

140 N L Street

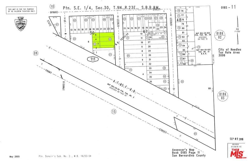
Fantastic opportunity to develop in a prime location near the Colorado River. This offering includes two adjacent parcels being sold together for a total of approximately 15,750 square feet (APN 0185-111-66 at 10,500 sqft and APN 0185-111-65 at 5,250 sqft). Zoned R3, this property allows for multi-family development with up to 30 units per acre, per city planning. Manufactured homes may also be allowed - buyer to verify with city planning. Located within one mile of the Colorado River, Rivers Edge Golf Course, and a public boat launch, this site is ideal for a personal desert retreat, Airbnb investment, or multi-unit development. The city has stated that utilities and sewer are available at the street. Easy access to major highways adds further convenience. Financing is available. Interested buyers are strongly encouraged to verify all aspects of the property, including but not limited to zoning, utilities, water, sewer, building requirements, and permitted uses. Contact listing agent for additional details.

Essential Information

  • MLS® #25582101
  • Price$65,000
  • Bathrooms0.00
  • Acres0.36
  • TypeLand
  • StatusActive

Community Information

  • Address140 N L Street
  • AreaDC770 - Needles
  • CityNeedles
  • CountySan Bernardino
  • Zip Code92363

Amenities

  • UtilitiesOverhead Utilities
  • ViewNone

Exterior

  • Lot DescriptionRectangular Lot, Flat

Additional Information

  • Date ListedAugust 22nd, 2025
  • Days on Market151
  • ZoningR3

Listing Details

  • AgentFernando Lara

Office

Brokers Trust Real Estate Group

Please provide a valid email address.

Fernando Lara, Brokers Trust Real Estate Group.

Based on information from California Regional Multiple Listing Service, Inc. as of January 20th, 2026 at 10:15am PST. This information is for your personal, non-commercial use and may not be used for any purpose other than to identify prospective properties you may be interested in purchasing. Display of MLS data is usually deemed reliable but is NOT guaranteed accurate by the MLS. Buyers are responsible for verifying the accuracy of all information and should investigate the data themselves or retain appropriate professionals. Information from sources other than the Listing Agent may have been included in the MLS data. Unless otherwise specified in writing, Broker/Agent has not and will not verify any information obtained from other sources. The Broker/Agent providing the information contained herein may or may not have been the Listing and/or Selling Agent.