Connect

Find us on...

Dashboard

Login using...

Shawn Bengtson

Office Broker - DRE 01236964

  • Office 760-805-7199
Questions?

1 Canyon Way, Agoura Hills – $150,000

  • $150k Price
  • .16 Acres
  • 183 DOM
  • $150k Price
  • .16 Acres
  • 183 DOM

1 Canyon Way

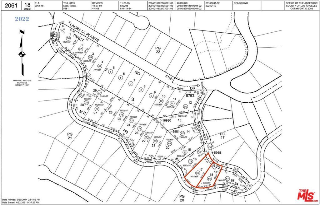
APN: 2061-018-066. Lot Size Appx 6,928 SF. Zoning RS. Great development opportunity with sweeping mountain views in the Agoura Hills area. Under the new SB9 legislation, the property offers the potential to build two units per lot, with the possibility of adding an ADU and/or JADU allowing for a total of three to four units, subject to site conditions (buyer to verify and rely on their own investigations). Seller also has old plans that call for a new 2-story 4BR/5BA single family home with 2-car garage & pool. Neighboring lot also for sale (MLS #25602877), providing an excellent opportunity for expanded development or investment. Old plans and reports available upon request. This property is centrally located in Agoura Hills, surrounded by multi-million-dollar homes, and offers convenient access to the 101 Freeway, as well as nearby shops, restaurants, and local amenities. Seller is open to financing, making this a rare and flexible offering for builders, investors, or buyers seeking to create their dream project in one of Agoura Hills' most sought-after areas.

Essential Information

  • MLS® #25602901
  • Price$150,000
  • Bathrooms0.00
  • Acres0.16
  • TypeLand
  • StatusActive

Community Information

  • Address1 Canyon Way
  • AreaAGOA - Agoura
  • CityAgoura Hills
  • CountyLos Angeles
  • Zip Code91301

Amenities

  • ViewHills, Mountain(s)

Additional Information

  • Date ListedOctober 7th, 2025
  • Days on Market183
  • ZoningAHAI*

Listing Details

  • AgentShawn S. Kormondy
  • OfficeKeller Williams Beverly Hills
Please provide a valid email address.

Price Change History for 1 Canyon Way, Agoura Hills, (MLS® #25602901)

Date Details Change
Price Reduced from $180,000 to $150,000 $30,000 (16.67%)
Price Reduced from $199,000 to $180,000 $19,000 (9.55%)

Shawn S. Kormondy, Keller Williams Beverly Hills.

Based on information from California Regional Multiple Listing Service, Inc. as of April 8th, 2026 at 7:50am PDT. This information is for your personal, non-commercial use and may not be used for any purpose other than to identify prospective properties you may be interested in purchasing. Display of MLS data is usually deemed reliable but is NOT guaranteed accurate by the MLS. Buyers are responsible for verifying the accuracy of all information and should investigate the data themselves or retain appropriate professionals. Information from sources other than the Listing Agent may have been included in the MLS data. Unless otherwise specified in writing, Broker/Agent has not and will not verify any information obtained from other sources. The Broker/Agent providing the information contained herein may or may not have been the Listing and/or Selling Agent.