Connect

Find us on...

Dashboard

Login using...

Shawn Bengtson

Office Broker - DRE 01236964

  • Office 760-805-7199
Questions?

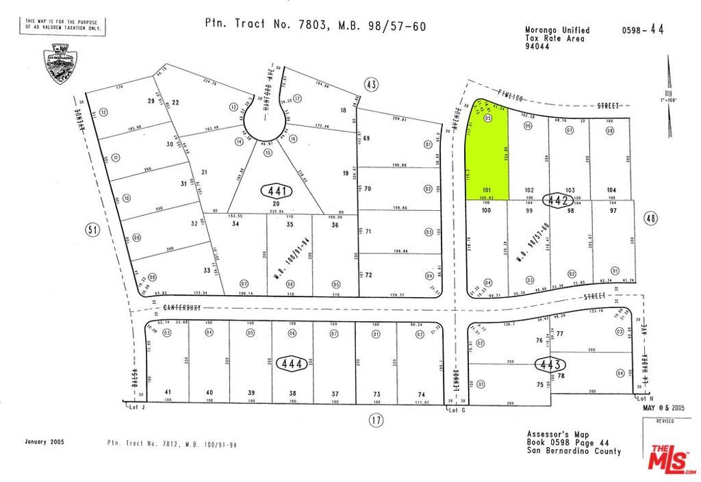
58253 Pimlico Street, Yucca Valley – $33,500

  • $33.5k Price
  • .56 Acres
  • 30 DOM
  • $33.5k Price
  • .56 Acres
  • 30 DOM

58253 Pimlico Street

Discover the perfect canvas for your dream home on this rare corner lot in Yucca Valley's desirable Yucca Mesa neighborhood. Spanning approximately 0.56 acres (24,200 sq. ft.), this oversized parcel offers ample space for a custom home, outdoor living areas, or even a pool and garden oasis. With public water and overhead power available to the site, building your desert retreat is made simple. Enjoy breathtaking desert and mountain views from your own backyard, surrounded by the peaceful beauty of the high desert landscape. Nestled in a quiet residential neighborhood, this property offers both tranquility and convenience. You'll be just minutes from Highways 62 and 247, local shopping, schools, restaurants, and the world-renowned Joshua Tree National Park. Whether you're seeking a full-time residence, vacation getaway, or investment property, this lot presents an exceptional opportunity to create your own slice of desert paradise.

Essential Information

  • MLS® #25613341
  • Price$33,500
  • Bathrooms0.00
  • Acres0.56
  • TypeLand
  • StatusActive

Community Information

  • Address58253 Pimlico Street
  • AreaDC573 - Mesa School Area
  • CityYucca Valley
  • CountySan Bernardino
  • Zip Code92284

Amenities

  • UtilitiesOverhead Utilities
  • ViewDesert, Hills, Mountain(s)

Exterior

  • Lot DescriptionRectangular Lot, Flat

Additional Information

  • Date ListedOctober 31st, 2025
  • Days on Market30
  • ZoningHV/RS-14M

Listing Details

  • AgentFernando Lara

Office

Brokers Trust Real Estate Group

Please provide a valid email address.

Fernando Lara, Brokers Trust Real Estate Group.

Based on information from California Regional Multiple Listing Service, Inc. as of November 30th, 2025 at 12:40pm PST. This information is for your personal, non-commercial use and may not be used for any purpose other than to identify prospective properties you may be interested in purchasing. Display of MLS data is usually deemed reliable but is NOT guaranteed accurate by the MLS. Buyers are responsible for verifying the accuracy of all information and should investigate the data themselves or retain appropriate professionals. Information from sources other than the Listing Agent may have been included in the MLS data. Unless otherwise specified in writing, Broker/Agent has not and will not verify any information obtained from other sources. The Broker/Agent providing the information contained herein may or may not have been the Listing and/or Selling Agent.