Connect

Find us on...

Dashboard

Login using...

Shawn Bengtson

Office Broker - DRE 01236964

  • Office 760-805-7199
Questions?

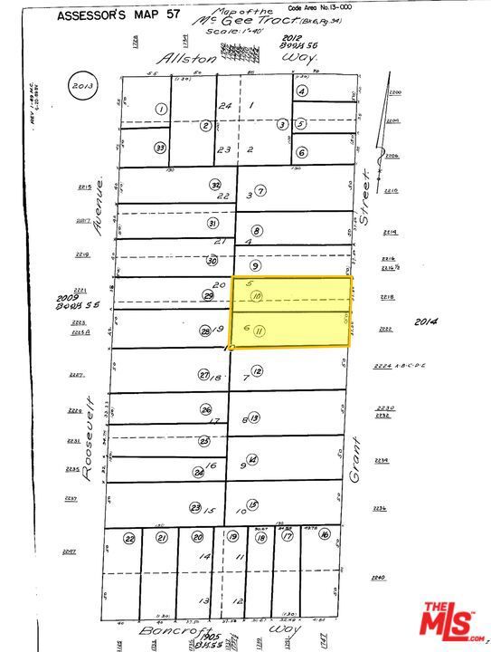
2218 -2222 Grant Street, Berkeley – $3,750,000

  • $3.8M Price
  • .23 Acres
  • 137 DOM
  • $3.8M Price
  • .23 Acres
  • 137 DOM

2218 -2222 Grant Street

Vacant, adjacent land lots, 2218 & 2222 Grant St., zoned R-2 Berkeley Residence, recent zoning change allowing for more entitlements, offering an excellent redevelopment opportunity for multifamily or student housing. The property provides a clean slate for development in a desirable area with strong housing demand. Ideal for investors and developers seeking proximity to local amenities and educational institutions, 0.6mi from UC Berkeley, one of the most prestigious schools in the country, and 0.5mi from the downtown Berkeley BART station, offering benefits from CA SB-79. Two vacant homes on 9,980 sq ft of land total between the two lots. This R-2 zoned site is eligible for significant new density under Berkeley's recently passed, Middle Housing Ordinance and when coupled with density bonus and proximity to mass transit (CA SB 79) a developer could build anywhere from 16 to 28 units in 3 to 6 stories without any parking. Height and density will be determined by affordable restrictions. There are no parking requirements for this site, as it's walking distance to UC Berkeley, retail and public transportation. This site is currently unentitled and provides a developer to design a project that takes advantage of Berkeley's recent changes in zoning. Rare, assembled development site in central Berkeley positioned to capitalize on California SB 79, which takes effect January 1, 2026. This legislation unlocks ministerial approval and unprecedented density for projects, like this one, within 1/2 mile of major transit, bypassing Berkeley's historically restrictive local zoning. APNS: 057-2013-010 & 057-2013-011

Essential Information

  • MLS® #25618269
  • Price$3,750,000
  • Bathrooms0.00
  • Acres0.23
  • TypeLand
  • StatusActive

Community Information

  • Address2218 -2222 Grant Street
  • AreaBERK - Berkeley
  • CityBerkeley
  • CountyAlameda
  • Zip Code94703

Amenities

  • ViewNone

Exterior

  • Lot DescriptionFlat

Additional Information

  • Date ListedNovember 12th, 2025
  • Days on Market137

Listing Details

  • AgentDavid Kaufman
  • OfficeDavid Ballin Kaufman
Please provide a valid email address.

David Kaufman, David Ballin Kaufman.

Based on information from California Regional Multiple Listing Service, Inc. as of March 29th, 2026 at 8:30am PDT. This information is for your personal, non-commercial use and may not be used for any purpose other than to identify prospective properties you may be interested in purchasing. Display of MLS data is usually deemed reliable but is NOT guaranteed accurate by the MLS. Buyers are responsible for verifying the accuracy of all information and should investigate the data themselves or retain appropriate professionals. Information from sources other than the Listing Agent may have been included in the MLS data. Unless otherwise specified in writing, Broker/Agent has not and will not verify any information obtained from other sources. The Broker/Agent providing the information contained herein may or may not have been the Listing and/or Selling Agent.