Connect

Find us on...

Dashboard

Login using...

Shawn Bengtson

Office Broker - DRE 01236964

  • Office 760-805-7199
Questions?

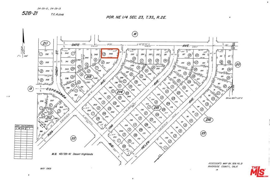
52841 Date Avenue, Cabazon – $49,000

  • $49k Price
  • .16 Acres
  • 46 DOM
  • $49k Price
  • .16 Acres
  • 46 DOM

52841 Date Avenue

APN 528-213-005. Great opportunity to build your dream home in the growing Cabazon area! This appx 6,970 SF lot, zoned W-2-M, offers beautiful views of the San Jacinto mountains and is well positioned for future development or long-term investment. There are no utilities currently on the lot. The property is conveniently located near the 10 Freeway, Morongo Casino Resort & Spa, Cabazon Outlet Stores, and more, and is just a short drive to Palm Springs.

Essential Information

  • MLS® #25619255
  • Price$49,000
  • Bathrooms0.00
  • Acres0.16
  • TypeLand
  • StatusActive

Community Information

  • Address52841 Date Avenue
  • CityCabazon
  • CountyRiverside
  • Zip Code92230

Area

263 - Banning/Beaumont/Cherry Valley

Amenities

  • ViewMountain(s)

Additional Information

  • Date ListedNovember 14th, 2025
  • Days on Market46
  • ZoningW-2-M

Listing Details

  • AgentShawn S. Kormondy
  • OfficeKeller Williams Beverly Hills
Please provide a valid email address.

Shawn S. Kormondy, Keller Williams Beverly Hills.

Based on information from California Regional Multiple Listing Service, Inc. as of December 30th, 2025 at 12:50am PST. This information is for your personal, non-commercial use and may not be used for any purpose other than to identify prospective properties you may be interested in purchasing. Display of MLS data is usually deemed reliable but is NOT guaranteed accurate by the MLS. Buyers are responsible for verifying the accuracy of all information and should investigate the data themselves or retain appropriate professionals. Information from sources other than the Listing Agent may have been included in the MLS data. Unless otherwise specified in writing, Broker/Agent has not and will not verify any information obtained from other sources. The Broker/Agent providing the information contained herein may or may not have been the Listing and/or Selling Agent.