Connect

Find us on...

Dashboard

Login using...

Shawn Bengtson

Office Broker - DRE 01236964

  • Office 760-805-7199
Questions?

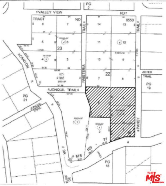
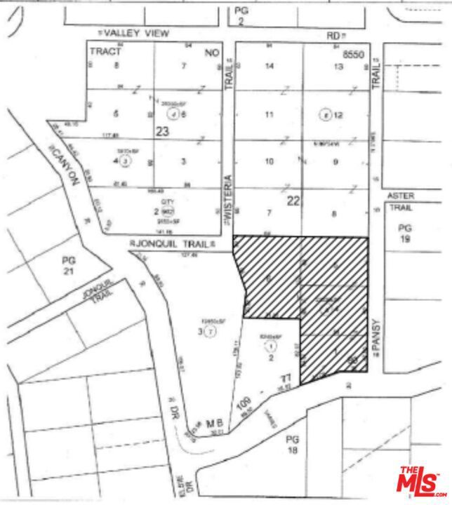
23288 Canyon Drive, Calabasas – $125,000

  • $125k Price
  • ½ Acres
  • 114 DOM
  • $125k Price
  • ½ Acres
  • 114 DOM

23288 Canyon Drive

Discover an exceptional opportunity in the coveted Calabasas Highlands - one of the area's most serene and sought-after communities. Nestled on Canyon Drive just off Mulholland Highway, this expansive 22,806 sq ft lot offers the ideal canvas to build your custom single-family home, with plans and permits currently in progress to streamline your vision. The Calabasas Highlands community is celebrated for its' quiet, retreat-like atmosphere, winding scenic roads, and stunning canyon vistas. Residents enjoy the perfect blend of privacy and convenience, just minutes from Old Town Calabasas, The Commons, top-rated schools, hiking trails, and Malibu Canyon's iconic outdoor destinations. Across the street, you'll find a collection of newly constructed homes, underscoring the area's ongoing growth and desirability. This lot presents a rare chance to create your dream home in one of Calabasas' most beloved neighborhoods. With nature at your doorstep and premier dining, shopping, and coastal access just moments away - this is an opportunity you won't want to miss.

Essential Information

  • MLS® #25625635
  • Price$125,000
  • Bathrooms0.00
  • Acres0.50
  • TypeLand
  • StatusActive

Community Information

  • Address23288 Canyon Drive
  • AreaCLB - Calabasas
  • CityCalabasas
  • CountyLos Angeles
  • Zip Code91302

Amenities

  • ViewHills

Additional Information

  • Date ListedDecember 5th, 2025
  • Days on Market114
  • ZoningLCA11*

Listing Details

  • AgentRichard Schulman
  • OfficeKW Westside Estates
Please provide a valid email address.

Price Change History for 23288 Canyon Drive, Calabasas, (MLS® #25625635)

Date Details Change
Price Reduced from $150,000 to $125,000 $25,000 (16.67%)
Price Reduced from $199,000 to $150,000 $49,000 (24.62%)

Richard Schulman, KW Westside Estates.

Based on information from California Regional Multiple Listing Service, Inc. as of March 29th, 2026 at 12:50pm PDT. This information is for your personal, non-commercial use and may not be used for any purpose other than to identify prospective properties you may be interested in purchasing. Display of MLS data is usually deemed reliable but is NOT guaranteed accurate by the MLS. Buyers are responsible for verifying the accuracy of all information and should investigate the data themselves or retain appropriate professionals. Information from sources other than the Listing Agent may have been included in the MLS data. Unless otherwise specified in writing, Broker/Agent has not and will not verify any information obtained from other sources. The Broker/Agent providing the information contained herein may or may not have been the Listing and/or Selling Agent.