Connect

Find us on...

Dashboard

Login using...

Shawn Bengtson

Office Broker - DRE 01236964

  • Office 760-805-7199
Questions?

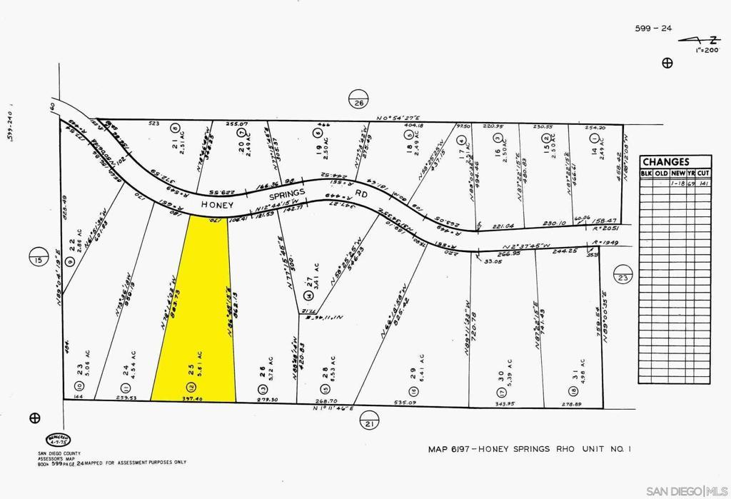
Honey Springs Rd, Jamul – $235,000

  • $235k Price
  • 5.61 Acres
  • 92 DOM
  • $235k Price
  • 5.61 Acres
  • 92 DOM

Honey Springs Rd

Build Your Private Hilltop Sanctuary on 5.6 Acres with Panoramic Views. Escape to the serene hills of Jamul on this expansive 5.6-acre estate site. Offering the perfect blend of privacy and accessibility, this property features breathtaking mountain views and a quiet atmosphere for your custom dream home. Ready for your vision, but with a significant head start as some grading has already been completed. Roughly 100x100 quarter acre flat pad. This property features a secure shared driveway that ensures a secluded feel from the main road. Zoned A72 you will have a tremendous amount of versatility including a vineyard, horse facilities, or a small organic farm. Prime Location: Enjoy the rural "country feel" while remaining just 30 minutes from downtown San Diego. Property was recently appraised, and seller is willing to consider financing. Redfin listed the median home prices in Jamul at $1.6M in November of 2025. Don't miss this opportunity to build equity in a high-demand area.

Essential Information

  • MLS® #2600244SD
  • Price$235,000
  • Bathrooms0.00
  • Acres5.61
  • TypeLand
  • StatusActive

Community Information

  • AddressHoney Springs Rd
  • Area91935 - Jamul
  • SubdivisionJamul
  • CityJamul
  • CountySan Diego
  • Zip Code91935

Amenities

  • UtilitiesSee Remarks

Exterior

  • Lot DescriptionLevel, Bluff

Additional Information

  • Date ListedJanuary 8th, 2026
  • Days on Market92

Listing Details

  • AgentJames Burkhardt
  • OfficeLPT Realty,Inc
Please provide a valid email address.

James Burkhardt, LPT Realty,Inc.

Based on information from California Regional Multiple Listing Service, Inc. as of April 10th, 2026 at 5:21pm PDT. This information is for your personal, non-commercial use and may not be used for any purpose other than to identify prospective properties you may be interested in purchasing. Display of MLS data is usually deemed reliable but is NOT guaranteed accurate by the MLS. Buyers are responsible for verifying the accuracy of all information and should investigate the data themselves or retain appropriate professionals. Information from sources other than the Listing Agent may have been included in the MLS data. Unless otherwise specified in writing, Broker/Agent has not and will not verify any information obtained from other sources. The Broker/Agent providing the information contained herein may or may not have been the Listing and/or Selling Agent.