Connect

Find us on...

Dashboard

Login using...

Shawn Bengtson

Office Broker - DRE 01236964

  • Office 760-805-7199
Questions?

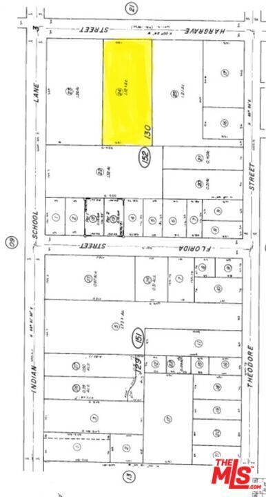
1485 N Hargrave Street, Banning – $245,000

  • $245k Price
  • 1.12 Acres
  • 53 DOM
  • $245k Price
  • 1.12 Acres
  • 53 DOM

1485 N Hargrave Street

Welcome to the one of the growing city of Banning! Build your dream home on this 48,787 SQFT parcel at 1485 N Hargrave Street, Banning, CA 92220. All utilities on the property, surrounded by paved street and it's located in a very nice area of Banning. House is likely lost in fire. Previous Seller had expired tentative tract map #33798 from the City of Banning to build 6 single family homes on this lot. All information is in the planning department of the City of Banning. Close to Freeways, Morongo Casino, Shopping Centers, Panoramic View, local schools and transportation.

Essential Information

  • MLS® #26646041
  • Price$245,000
  • Bathrooms0.00
  • Acres1.12
  • TypeLand
  • StatusActive

Community Information

  • Address1485 N Hargrave Street
  • CityBanning
  • CountyRiverside
  • Zip Code92220

Area

263 - Banning/Beaumont/Cherry Valley

Additional Information

  • Date ListedFebruary 1st, 2026
  • Days on Market53

Listing Details

  • AgentCh. (linda) Tumen
  • OfficeHST Properties, Inc.
Please provide a valid email address.

Ch. (linda) Tumen, HST Properties, Inc..

Based on information from California Regional Multiple Listing Service, Inc. as of March 26th, 2026 at 5:56pm PDT. This information is for your personal, non-commercial use and may not be used for any purpose other than to identify prospective properties you may be interested in purchasing. Display of MLS data is usually deemed reliable but is NOT guaranteed accurate by the MLS. Buyers are responsible for verifying the accuracy of all information and should investigate the data themselves or retain appropriate professionals. Information from sources other than the Listing Agent may have been included in the MLS data. Unless otherwise specified in writing, Broker/Agent has not and will not verify any information obtained from other sources. The Broker/Agent providing the information contained herein may or may not have been the Listing and/or Selling Agent.