Connect

Find us on...

Dashboard

Login using...

Shawn Bengtson

Office Broker - DRE 01236964

  • Office 760-805-7199
Questions?

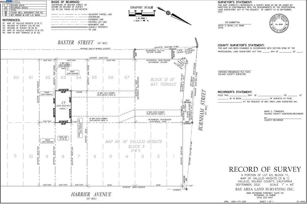
25 Burnham St, Vallejo – $150,000

  • $150k Price
  • .11 Acres
  • 372 DOM
  • $150k Price
  • .11 Acres
  • 372 DOM

25 Burnham St

Buildable 5000 Sqft Residential Land for Sale! This beautiful, well-located, and secluded elevated lot offers breathtaking panoramic views of the bay and the Vallejo Yacht Club. Enjoy clear vistas of the marina and its various water sports activities, including parasailing and yacht races. A property survey is available, and seller financing options are offered. Don't miss out on this incredible opportunity! ; POI’s ; 2 minutes to River Park ; 4 minutes to Vallejo Ferry Terminal ; 4 mins to Water Front Restaurants ; 5 Minutes to Vallejo Naval & Historical Museum ; 6 minutes to Vallejo High School ; 7 minutes to Johnson Cooper Elementary7 minutes to Kaiser or Sutter Hospital ; 7 minutes to Supermarket ; 8 mins to Mare Island ; 12 mins to Six Flags Discovery Kingdom ; 21 minutes to Napa Winery ; 29 minutes to Vacaville Premium outlet

Essential Information

  • MLS® #41092292
  • Price$150,000
  • Bathrooms0.00
  • Acres0.11
  • TypeLand
  • StatusActive

Community Information

  • Address25 Burnham St
  • CityVallejo
  • CountySolano
  • Zip Code94590

Amenities

  • ViewBay, Marina, Water

Utilities

Sewer Not Available, Water Not Available

Exterior

  • Lot DescriptionSloped Down

Additional Information

  • Date ListedApril 5th, 2025
  • Days on Market372
  • ZoningRes

Listing Details

  • AgentLiberty Uy

Office

RL Dynasty Realty & Development Inc

Please provide a valid email address.

Liberty Uy, RL Dynasty Realty & Development Inc.

Based on information from California Regional Multiple Listing Service, Inc. as of April 12th, 2026 at 10:30am PDT. This information is for your personal, non-commercial use and may not be used for any purpose other than to identify prospective properties you may be interested in purchasing. Display of MLS data is usually deemed reliable but is NOT guaranteed accurate by the MLS. Buyers are responsible for verifying the accuracy of all information and should investigate the data themselves or retain appropriate professionals. Information from sources other than the Listing Agent may have been included in the MLS data. Unless otherwise specified in writing, Broker/Agent has not and will not verify any information obtained from other sources. The Broker/Agent providing the information contained herein may or may not have been the Listing and/or Selling Agent.