Connect

Find us on...

Dashboard

Login using...

Shawn Bengtson

Office Broker - DRE 01236964

  • Office 760-805-7199
Questions?

2709 Windsor, Antioch – $1,499,000

  • $1.5M Price
  • 2.59 Acres
  • 117 DOM
  • $1.5M Price
  • 2.59 Acres
  • 117 DOM

2709 Windsor

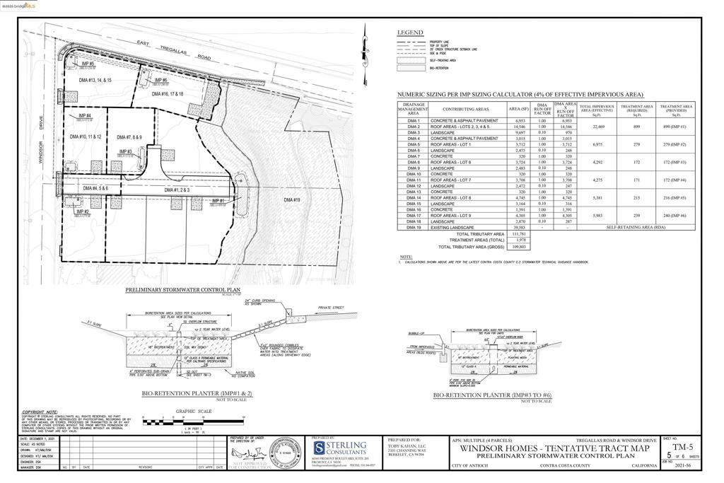
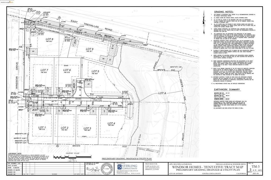
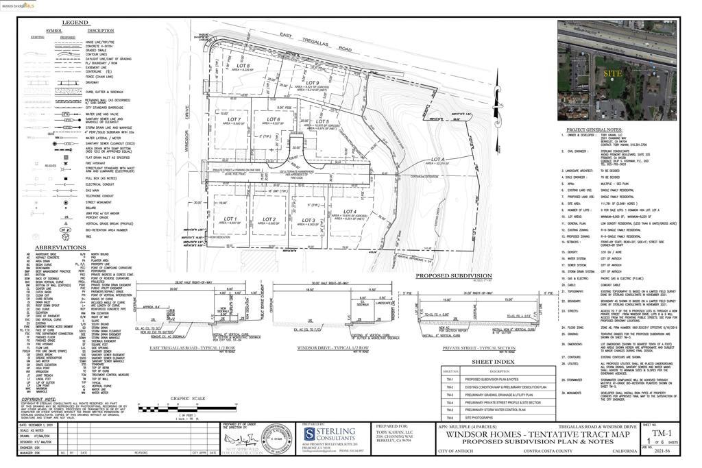
Exciting development opportunity in Antioch! This 2.59-acre property consists of four parcels (APNs: 068-252-041-6, 068-252-042-4, 068-252-043-2, 068-252-045-7) and is zoned R-35, offering incredible potential for high-density residential projects. Originally owned by East Side Church of Christ, these parcels are now eligible under Senate Bill 4 for affordable housing, including cottage communities. A tract map is available, outlining a plan for nine large family homes designed to meet all city development requirements, including demolition, grading, stormwater control, and utility planning. With 1.5 net acres available for development, this is a prime opportunity to create a unique affordable housing project incorporating ADUs, cottages, cottage duplexes, condos, or townhomes. To make permitting more feasible the city is allowing ADUs to be built without a primary home for all properties located within designated innovative housing sites (Site #16).The growing demand for affordable housing makes this an ideal investment with strong potential for appreciation. Buyer to verify desired use and meet all requirements for development. Don’t miss out on this rare investment!

Essential Information

  • MLS® #41113673
  • Price$1,499,000
  • Bathrooms0.00
  • Acres2.59
  • TypeLand
  • StatusActive

Community Information

  • Address2709 Windsor
  • SubdivisionANTIOCH
  • CityAntioch
  • CountyContra Costa
  • Zip Code94509-0000

Amenities

  • WaterfrontCreek

Utilities

Sewer Not Available, Water Not Available

Exterior

  • Lot DescriptionCorner Lot

Additional Information

  • Date ListedOctober 3rd, 2025
  • Days on Market117
  • ZoningR-35

Listing Details

  • AgentLori Abreu
  • OfficeDelta Ranches & Homes
Please provide a valid email address.

Lori Abreu, Delta Ranches & Homes.

Based on information from California Regional Multiple Listing Service, Inc. as of January 28th, 2026 at 8:25pm PST. This information is for your personal, non-commercial use and may not be used for any purpose other than to identify prospective properties you may be interested in purchasing. Display of MLS data is usually deemed reliable but is NOT guaranteed accurate by the MLS. Buyers are responsible for verifying the accuracy of all information and should investigate the data themselves or retain appropriate professionals. Information from sources other than the Listing Agent may have been included in the MLS data. Unless otherwise specified in writing, Broker/Agent has not and will not verify any information obtained from other sources. The Broker/Agent providing the information contained herein may or may not have been the Listing and/or Selling Agent.