Connect

Find us on...

Dashboard

Login using...

Shawn Bengtson

Office Broker - DRE 01236964

  • Office 760-805-7199
Questions?

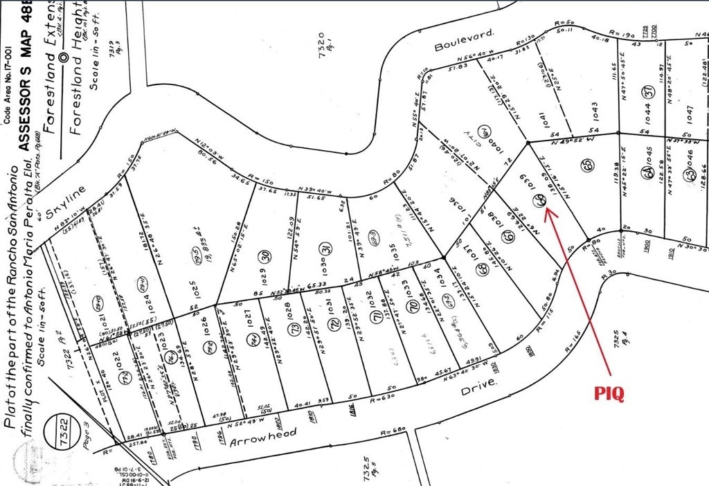
Arrowhead Drive, Oakland – $98,000

  • $98k Price
  • .18 Acres
  • 78 DOM
  • $98k Price
  • .18 Acres
  • 78 DOM

Arrowhead Drive

Build your dream home on this wonderful lot in Oakland Hills. Lot is next to 1880 Arrowhead. Great schools. Approx 2 miles to Montclair Village. Seller has survey, soil & tree reports.

Essential Information

  • MLS® #41120111
  • Price$98,000
  • Bathrooms0.00
  • Acres0.18
  • TypeLand
  • StatusActive

Community Information

  • AddressArrowhead Drive
  • SubdivisionOAKLAND HILLS
  • CityOakland
  • CountyAlameda
  • Zip Code94611

Exterior

  • Lot DescriptionSloped Up

Additional Information

  • Date ListedJanuary 6th, 2026
  • Days on Market78
  • ZoningRes

Listing Details

  • AgentTrang Dunlap
  • OfficeIntero Real Estate Services
Please provide a valid email address.

Trang Dunlap, Intero Real Estate Services.

Based on information from California Regional Multiple Listing Service, Inc. as of March 25th, 2026 at 6:25pm PDT. This information is for your personal, non-commercial use and may not be used for any purpose other than to identify prospective properties you may be interested in purchasing. Display of MLS data is usually deemed reliable but is NOT guaranteed accurate by the MLS. Buyers are responsible for verifying the accuracy of all information and should investigate the data themselves or retain appropriate professionals. Information from sources other than the Listing Agent may have been included in the MLS data. Unless otherwise specified in writing, Broker/Agent has not and will not verify any information obtained from other sources. The Broker/Agent providing the information contained herein may or may not have been the Listing and/or Selling Agent.