Connect

Find us on...

Dashboard

Login using...

Shawn Bengtson

Office Broker - DRE 01236964

  • Office 760-805-7199
Questions?

6741 Tesla Rd, Livermore – $8,950,000

  • $9M Price
  • 243.95 Acres
  • 42 DOM
  • $9M Price
  • 243.95 Acres
  • 42 DOM

6741 Tesla Rd

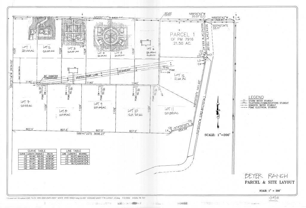
Located directly on Tesla Road, the main arterial through the Livermore Valley Wine Country, this expansive 243± acre parcel presents a rare large-scale development opportunity in one of the Bay Area’s most desirable rural-luxury and agritourism corridors. The property is potentially eligible to subdivide up to 12 individual 20± acre parcels, each with 2-acre building envelopes, offering exceptional flexibility for a mix of rural residential estates, vineyard estates, and/or clustered commercial development. With both potable/city water and appropriate agricultural water allocation in place along with future sewer access, the site is well-positioned to support residential uses, cultivated agriculture, vineyard operations, or winery and production uses, including possible event centers and other commercial uses. Situated on the main corridor in the Livermore Valley Wine Country with over 3,400 feet of frontage, Tesla Road offers strong year-round traffic, high visibility, and direct access to the Livermore Valley Wine Trail, minutes from downtown Livermore and Interstate 580. The area’s mix of premium wineries, golf courses, and equestrian estates underscores the investment potential for hospitality, a destination resort, or winery development at scale. Views: Ridge

Essential Information

  • MLS® #41122098
  • Price$8,950,000
  • Bathrooms0.00
  • Acres243.95
  • TypeLand
  • StatusActive

Community Information

  • Address6741 Tesla Rd
  • SubdivisionCOUNTRY
  • CityLivermore
  • CountyAlameda
  • Zip Code94550

Amenities

View

Golf Course, Hills, Mountain(s), Panoramic, Pasture, Valley, Park/Greenbelt

Exterior

  • Lot DescriptionHorse Property

Additional Information

  • Date ListedJanuary 26th, 2026
  • Days on Market42
  • ZoningAG

Listing Details

  • AgentMatt Ford
  • OfficeWeston Properties
Please provide a valid email address.

Matt Ford, Weston Properties.

Based on information from California Regional Multiple Listing Service, Inc. as of March 9th, 2026 at 9:30pm PDT. This information is for your personal, non-commercial use and may not be used for any purpose other than to identify prospective properties you may be interested in purchasing. Display of MLS data is usually deemed reliable but is NOT guaranteed accurate by the MLS. Buyers are responsible for verifying the accuracy of all information and should investigate the data themselves or retain appropriate professionals. Information from sources other than the Listing Agent may have been included in the MLS data. Unless otherwise specified in writing, Broker/Agent has not and will not verify any information obtained from other sources. The Broker/Agent providing the information contained herein may or may not have been the Listing and/or Selling Agent.