Connect

Find us on...

Dashboard

Login using...

Shawn Bengtson

Office Broker - DRE 01236964

  • Office 760-805-7199
Questions?

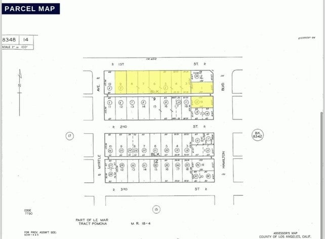
161 S Hamilton Boulevard, Pomona – $5,500,000

  • $5.5M Price
  • 1.31 Acres
  • 578 DOM
  • $5.5M Price
  • 1.31 Acres
  • 578 DOM

161 S Hamilton Boulevard

Unlock the potential of this rare Heavy Industrial land opportunity in Pomona, CA. Comprising two adjacent parcels totaling 1.3 acres (± 57,148 SF), this strategically located property is currently utilized for auto dismantling and wrecking, featuring a fully operational paint booth. Situated at the intersection of S Hamilton Blvd and W 1st St, this site benefits from high visibility and easy access. Key Features: Building Size: ± 3,132 SF Lot Size: ± 57,148 SF (1.3 AC) Corner Streets: S Hamilton Blvd & W 1st St Year Built: 1939 Property Type: Industrial Land Zoning: POM2/POM APN: 8348-014-002, 8348-014-012 Current Use: Auto Dismantling/Wrecking with Paint Booth Opportunity Zone: Yes Highlights: Rare Find: Heavy Industrial zoning in a highly sought-after area Versatile Use: Ideal for continued auto dismantling or other heavy industrial operations Development Potential: Opportunity Zone benefits offer tax incentives for future development Recent Phase I & Phase II Reports Don't miss this exceptional chance to acquire a hard-to-find heavy industrial property with established use and significant growth potential. Buyer to do their own diligence and investigations

Essential Information

  • MLS® #CV24167131
  • Price$5,500,000
  • Bathrooms0.00
  • Acres1.31
  • Year Built1939
  • TypeCommercial Sale
  • Sub-TypeIndustrial
  • StatusActive

Community Information

  • Address161 S Hamilton Boulevard
  • Area687 - Pomona
  • CityPomona
  • CountyLos Angeles
  • Zip Code91766

Amenities

Utilities

Electricity Connected, Sewer Connected, Water Connected

Interior

  • HeatingDuctless
  • CoolingDuctless
  • # of Stories1

Exterior

  • Lot DescriptionLot Over 40000 Sqft

Additional Information

  • Date ListedAugust 14th, 2024
  • Days on Market578

Listing Details

  • AgentAbraham Prattella
  • OfficeAGENCY 8 REAL ESTATE GROUP
Please provide a valid email address.

Price Change History for 161 S Hamilton Boulevard, Pomona, (MLS® #CV24167131)

Date Details Change
Status Changed from Active Under Contract to Active
Status Changed from Pending to Active Under Contract
Status Changed from Active to Pending
Price Reduced from $6,000,000 to $5,500,000 $500,000 (8.33%)

Abraham Prattella, AGENCY 8 REAL ESTATE GROUP.

Based on information from California Regional Multiple Listing Service, Inc. as of March 16th, 2026 at 2:20am PDT. This information is for your personal, non-commercial use and may not be used for any purpose other than to identify prospective properties you may be interested in purchasing. Display of MLS data is usually deemed reliable but is NOT guaranteed accurate by the MLS. Buyers are responsible for verifying the accuracy of all information and should investigate the data themselves or retain appropriate professionals. Information from sources other than the Listing Agent may have been included in the MLS data. Unless otherwise specified in writing, Broker/Agent has not and will not verify any information obtained from other sources. The Broker/Agent providing the information contained herein may or may not have been the Listing and/or Selling Agent.