Connect

Find us on...

Dashboard

Login using...

Shawn Bengtson

Office Broker - DRE 01236964

  • Office 760-805-7199
Questions?

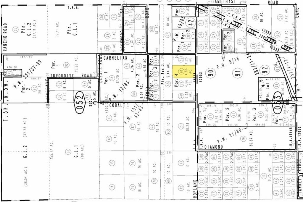
61 Hopland Street, Adelanto – $215,000

  • $215k Price
  • 4.67 Acres
  • $215k Price
  • 4.67 Acres

61 Hopland Street

Take a look at these 4.67 acre parcel of flat land, (APN 0455-052-61-0000), located in a prime location projected for growth, currently zoned Light Manufacturing (LM) in Adelanto, CA, utilities Adjacent to Site: electricity, property could have sewage connection about 300ft east from property at the corner of Hopland St and Brucite Rd, Water hydrant is about 600 ft west from property at the corner of Holand St and Cobalt Rd (buyer and buyer’s agent to verify utilities for availability connections) 329 feet frontage and paved road x 618 feet deep rectangular lot, located just 1.65mi. East from US-395 Hwy, about 3+/-miles south of the Southern California Logistics Airport (SCLA) close proximity to Northwest Pipe Company, one of the largest manufacturing companies in North America. Bring your offer today.

Essential Information

  • MLS® #CV26083409
  • Price$215,000
  • Bathrooms0.00
  • Acres4.67
  • TypeLand
  • StatusComing Soon

Community Information

  • Address61 Hopland Street
  • AreaADL - Adelanto
  • CityAdelanto
  • CountySan Bernardino
  • Zip Code92394

Amenities

  • ViewDesert, Mountain(s), Valley

Utilities

Electricity Available, Water Not Available

Exterior

Lot Description

Lot Over 40000 Sqft, Level, Rectangular Lot

Additional Information

  • Date ListedApril 14th, 2026
  • ZoningLight Manufacturing

Listing Details

  • AgentJaime Arteaga
  • OfficeMGR REAL ESTATE, INC.
Please provide a valid email address.

Jaime Arteaga, MGR REAL ESTATE, INC..

Based on information from California Regional Multiple Listing Service, Inc. as of April 18th, 2026 at 9:45am PDT. This information is for your personal, non-commercial use and may not be used for any purpose other than to identify prospective properties you may be interested in purchasing. Display of MLS data is usually deemed reliable but is NOT guaranteed accurate by the MLS. Buyers are responsible for verifying the accuracy of all information and should investigate the data themselves or retain appropriate professionals. Information from sources other than the Listing Agent may have been included in the MLS data. Unless otherwise specified in writing, Broker/Agent has not and will not verify any information obtained from other sources. The Broker/Agent providing the information contained herein may or may not have been the Listing and/or Selling Agent.