Connect

Find us on...

Dashboard

Login using...

Shawn Bengtson

Office Broker - DRE 01236964

  • Office 760-805-7199
Questions?

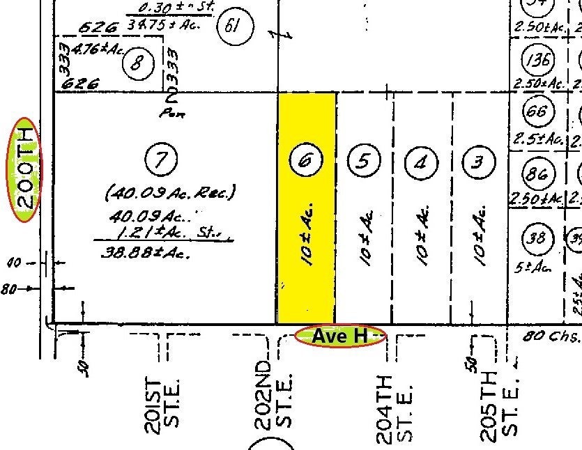
20200 Avenue H, Lancaster – $29,000

  • $29k Price
  • 10.28 Acres
  • 389 DOM
  • $29k Price
  • 10.28 Acres
  • 389 DOM

20200 Avenue H

Easy payments, Seller finances Any Credit OK, Call for details 10 Acres ''Approximate'' High Vista area. Fully accessible lot (See plot map) Stunning mountain views, peaceful countryside, bring the horses, cows or just the toys, plenty of land for unlimited possibilities. Just 2k feet to the paved Rd. Priced @ Less than 10 cents per square foot (2k feet distance to power) In LA county... Really! Don't let this one go you might not have4 another chance... Call or text Now! Could be your retirement place or just an investment Address is just an approximate. Corner stakes (if any) are to just give an idea. ''NO survey has been done''. Flat land, great views, & Power A-2-5, zone according to public records text or email for more pictures. We have many others.

Essential Information

  • MLS® #DW24244077
  • Price$29,000
  • Bathrooms0.00
  • Acres10.28
  • TypeLand
  • StatusActive

Community Information

  • Address20200 Avenue H
  • AreaLAC - Lancaster
  • CityLancaster
  • CountyLos Angeles
  • Zip Code93535

Amenities

  • ViewDesert, Mountain(s)

Utilities

Electricity Available, Water Not Available

Exterior

Lot Description

Agricultural, Desert Back, Desert Front, Lot Over 40000 Sqft, Level, Rectangular Lot

Additional Information

  • Date ListedDecember 4th, 2024
  • Days on Market389
  • ZoningLCA11*

Listing Details

  • AgentWesly Iniguez
  • OfficeLA Best Homes
Please provide a valid email address.

Wesly Iniguez, LA Best Homes.

Based on information from California Regional Multiple Listing Service, Inc. as of December 28th, 2025 at 8:30pm PST. This information is for your personal, non-commercial use and may not be used for any purpose other than to identify prospective properties you may be interested in purchasing. Display of MLS data is usually deemed reliable but is NOT guaranteed accurate by the MLS. Buyers are responsible for verifying the accuracy of all information and should investigate the data themselves or retain appropriate professionals. Information from sources other than the Listing Agent may have been included in the MLS data. Unless otherwise specified in writing, Broker/Agent has not and will not verify any information obtained from other sources. The Broker/Agent providing the information contained herein may or may not have been the Listing and/or Selling Agent.