Connect

Find us on...

Dashboard

Login using...

Shawn Bengtson

Office Broker - DRE 01236964

  • Office 760-805-7199
Questions?

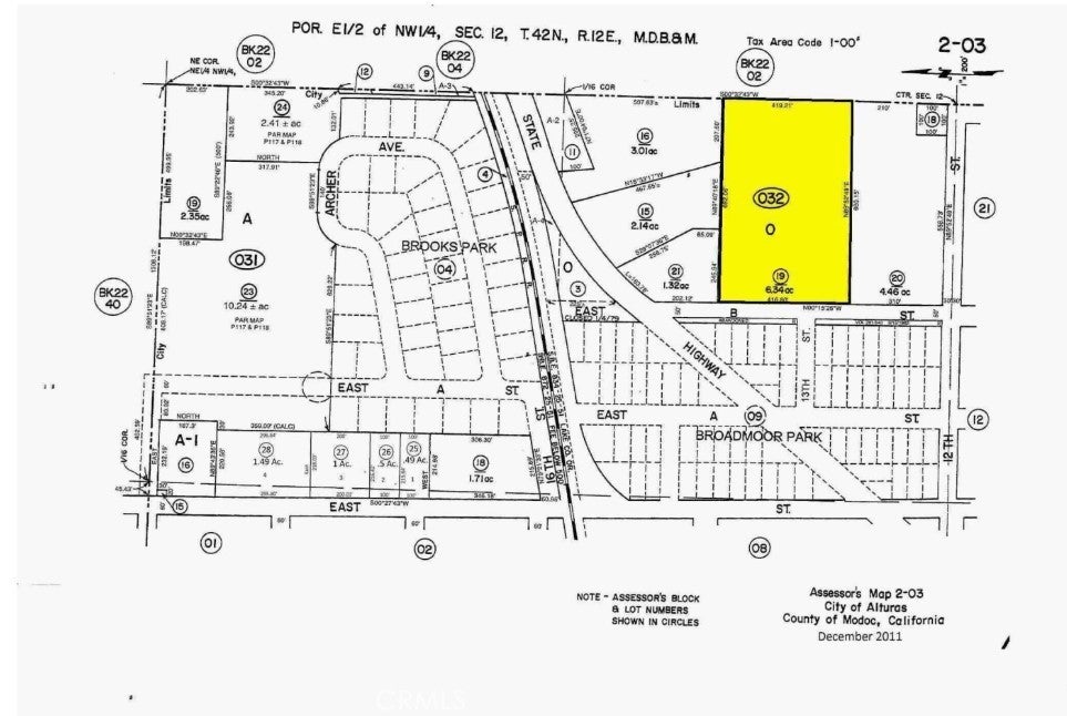
N East B Street, Alturas – $138,000

  • $138k Price
  • 6.34 Acres
  • 14 DOM
  • $138k Price
  • 6.34 Acres
  • 14 DOM

N East B Street

Prime residential development opportunity in the City of Alturas, Modoc County. This expansive 276,170 sq ft (approximately 6.34 acres) parcel is zoned RES ACG, providing flexibility for a variety of residential uses (buyer to verify all permitted uses with the City of Alturas Planning Department). The property offers an excellent opportunity for investors, developers, or homebuilders seeking a well-located site with ample space to design single-family homes, multi-unit residences, or other residential projects. With generous lot size, strong development potential, and room for creative planning, this parcel is ideal for anyone looking to build in a growing Northern California community. Whether you're planning a new housing development or a private estate, this land provides the space and flexibility to bring your residential vision to life.

Essential Information

  • MLS® #DW25260265
  • Price$138,000
  • Bathrooms0.00
  • Acres6.34
  • TypeLand
  • StatusActive

Community Information

  • AddressN East B Street
  • CityAlturas
  • CountyModoc
  • Zip Code91601

Amenities

  • ViewNone

Exterior

  • Lot DescriptionLevel

Additional Information

  • Date ListedNovember 12th, 2025
  • Days on Market14
  • ZoningRES ACG

Listing Details

  • AgentGabriel Diaz
  • OfficePak Home Realty
Please provide a valid email address.

Gabriel Diaz, Pak Home Realty.

Based on information from California Regional Multiple Listing Service, Inc. as of November 27th, 2025 at 6:15pm PST. This information is for your personal, non-commercial use and may not be used for any purpose other than to identify prospective properties you may be interested in purchasing. Display of MLS data is usually deemed reliable but is NOT guaranteed accurate by the MLS. Buyers are responsible for verifying the accuracy of all information and should investigate the data themselves or retain appropriate professionals. Information from sources other than the Listing Agent may have been included in the MLS data. Unless otherwise specified in writing, Broker/Agent has not and will not verify any information obtained from other sources. The Broker/Agent providing the information contained herein may or may not have been the Listing and/or Selling Agent.