Connect

Find us on...

Dashboard

Login using...

Shawn Bengtson

Office Broker - DRE 01236964

  • Office 760-805-7199
Questions?

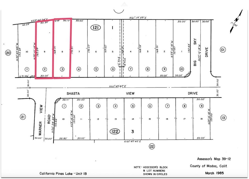
Shasta View Drive, Alturas – $18,500

  • $18.5k Price
  • .39 Acres
  • 2 DOM
  • $18.5k Price
  • .39 Acres
  • 2 DOM

Shasta View Drive

TWO Very Beautiful, Mostly Level, Adjoining Land Parcels right on a small portion of the LAKE! UNIQUE and HARD TO FIND!... Not just one, BUT TWO Very Desirable, Adjoining Land Parcels that are Both Mostly Level and Have All Usable Land that are right on the Lake! See the photos... EACH of these TWO land parcels ALSO HAVE ALL THE UTILITIES TOO! These include: Electric, Water and Sewer in the street next to the land parcels! The land parcels are .19 acres for one and .20 for the other one. Build your own dream home here and/or even add a second modular home next door and maybe rent it out. Buy these two nice beautiful adjoining land parcels right on the lake and on the main road leading up to the lodge for the special price of only $18,500. Also, note the area has a nice air strip for small aircraft that is behind the property. It is in very good condition because it is barely used. I have included two pictures of the runway at the end of the set of photos of this listing. Great Investment! Buy It Now!

Essential Information

  • MLS® #FR26025361
  • Price$18,500
  • Bathrooms0.00
  • Acres0.39
  • TypeLand
  • StatusActive

Community Information

  • AddressShasta View Drive
  • CityAlturas
  • CountyModoc
  • Zip Code96101

Amenities

  • ViewPanoramic, Water

Utilities

Electricity Available, Sewer Available, Water Available

Exterior

  • Lot DescriptionGentle Sloping, Street Level

Additional Information

  • Date ListedFebruary 3rd, 2026
  • Days on Market2
  • ZoningResidential

Listing Details

  • AgentBrian Dombroski
  • OfficeDombroski Realty
Please provide a valid email address.

Brian Dombroski, Dombroski Realty.

Based on information from California Regional Multiple Listing Service, Inc. as of February 5th, 2026 at 8:30pm PST. This information is for your personal, non-commercial use and may not be used for any purpose other than to identify prospective properties you may be interested in purchasing. Display of MLS data is usually deemed reliable but is NOT guaranteed accurate by the MLS. Buyers are responsible for verifying the accuracy of all information and should investigate the data themselves or retain appropriate professionals. Information from sources other than the Listing Agent may have been included in the MLS data. Unless otherwise specified in writing, Broker/Agent has not and will not verify any information obtained from other sources. The Broker/Agent providing the information contained herein may or may not have been the Listing and/or Selling Agent.