Connect

Find us on...

Dashboard

Login using...

Shawn Bengtson

Office Broker - DRE 01236964

  • Office 760-805-7199
Questions?

538 Plumosa Ave, Vista – $999,999

  • $1000k Price
  • 2.62 Acres
  • 259 DOM
  • $1000k Price
  • 2.62 Acres
  • 259 DOM

538 Plumosa Ave

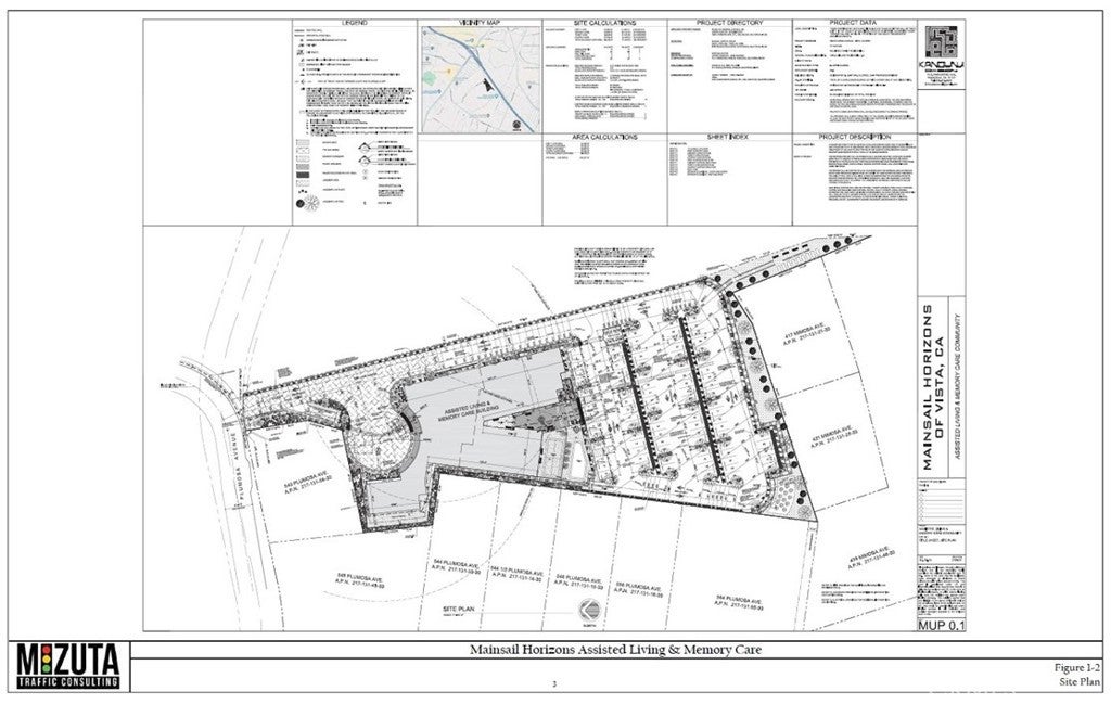
The Mainsail Horizons of Vista Project RECORD ID: PDS2017-MPA-17-012; APN 217-131-58 The Mainsail Horizons of Vista project (PDS2017-MPA-17-012) consists of an application for a Major Use Permit to allow the construction of an Assisted Living and Memory Care facility on an approximately 2.6- acre vacant property. The site supports two more-or-less discrete plant communities or habitats: Non-native Grassland and Disturbed/Developed habitat. The project as proposed will impact biological resources, resulting in a need for mitigation. Mitigation must take place offsite in a County-approved location due to full site use for development purposes. In addition, an avian nesting survey and/or seasonal restrictions on any future site development are recommended to ensure project consistency with the Migratory Bird Treaty Act and the California Fish and Game Code. The Mainsail Horizons of Vista project is an application to allow the development of an approximately 2.6- acre parcel (APN 217-131-58) under a Major Use Permit (MUP) allowing the construction of an Assisted Living and Memory Care facility. As designed, the facility will support a 59,148 square-foot 4-story building along with parking spaces, a swimming pool, landscaping, other improvements and associated infrastructure. The 2.6-acre project site is located southwest of State Route 78 and fronting Plumosa Avenue on unincorporated County lands between the Cities of Vista and San Marcos.

Essential Information

  • MLS® #GD25120984
  • Price$999,999
  • Bathrooms0.00
  • Acres2.62
  • TypeLand
  • StatusActive

Community Information

  • Address538 Plumosa Ave
  • Area92081 - Vista
  • SubdivisionVista
  • CityVista
  • CountySan Diego
  • Zip Code92081

Amenities

  • ViewMountain(s)

Exterior

  • Lot DescriptionTwoToFiveUnitsAcre

Additional Information

  • Date ListedMay 30th, 2025
  • Days on Market259
  • ZoningResidential Single

Listing Details

  • AgentSean Madadian
  • OfficeMagic Realty
Please provide a valid email address.

Price Change History for 538 Plumosa Ave, Vista, (MLS® #GD25120984)

Date Details Change
Price Reduced from $1,295,000 to $999,999 $295,001 (22.78%)

Sean Madadian, Magic Realty.

Based on information from California Regional Multiple Listing Service, Inc. as of February 15th, 2026 at 12:56am PST. This information is for your personal, non-commercial use and may not be used for any purpose other than to identify prospective properties you may be interested in purchasing. Display of MLS data is usually deemed reliable but is NOT guaranteed accurate by the MLS. Buyers are responsible for verifying the accuracy of all information and should investigate the data themselves or retain appropriate professionals. Information from sources other than the Listing Agent may have been included in the MLS data. Unless otherwise specified in writing, Broker/Agent has not and will not verify any information obtained from other sources. The Broker/Agent providing the information contained herein may or may not have been the Listing and/or Selling Agent.