Connect

Find us on...

Dashboard

Login using...

Shawn Bengtson

Office Broker - DRE 01236964

  • Office 760-805-7199
Questions?

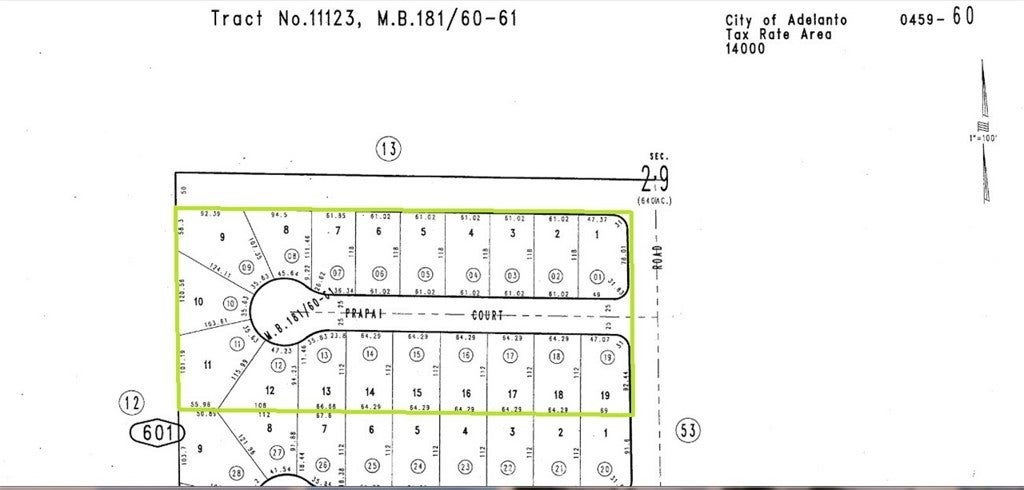
459601 0119 Prapi Court, Adelanto – $456,000

  • $456k Price
  • Acres
  • 876 DOM
  • $456k Price
  • Acres
  • 876 DOM

459601 0119 Prapi Court

*** Come VIEW and MAKE an OFFER TODAY! Amazing LAND OPPORTUNITY in EXPANDING ADELANTO, CA. Located on the SW Corner of Bartlett Ave and Verbena Rd, the 3.25 ACRE site offers 19 UNITS, SEE TRACT MAP #11123. Positioned in the heart of town, adjacent to utilities, and close to Hwy 395 the lots are ready for development. Each parcel in the package is priced under $25K, and with the average Adelanto sale price climbing up to $400K, there is tons of potential for lucrative returns. A definite must see OPPORTUNITY, worthy of serious consideration, before it’s too late.*****(19 APNs sold as a package: 0459-601 01, 02, 03, 04, 05, 06, 07, 08, 09, 10, 11, 12, 13, 14, 15, 16, 17, 18, and 19)

Essential Information

  • MLS® #HD23044238
  • Price$456,000
  • Bathrooms0.00
  • Acres3.25
  • TypeLand
  • StatusActive

Community Information

  • Address459601 0119 Prapi Court
  • AreaADL - Adelanto
  • CityAdelanto
  • CountySan Bernardino
  • Zip Code92301

Amenities

  • ViewDesert

Utilities

Cable Available, Electricity Available, Natural Gas Available, Phone Available, Sewer Available, Water Available

Exterior

  • Lot DescriptionLevel, Paved

Additional Information

  • Date ListedMarch 16th, 2023
  • Days on Market876
  • ZoningR1

Listing Details

  • AgentJeffrey Nyal
  • OfficeColdwell Banker Home Source
Please provide a valid email address.

Price Change History for 459601 0119 Prapi Court, Adelanto, (MLS® #HD23044238)

Date Details Change
Status Changed from Pending to Active
Status Changed from Active to Pending
Status Changed from Pending to Active
Price Increased from $399,990 to $456,000 $56,010 (14.00%)
Status Changed from Active to Pending
Show More (2)

Jeffrey Nyal, Coldwell Banker Home Source.

Based on information from California Regional Multiple Listing Service, Inc. as of February 20th, 2026 at 6:50am PST. This information is for your personal, non-commercial use and may not be used for any purpose other than to identify prospective properties you may be interested in purchasing. Display of MLS data is usually deemed reliable but is NOT guaranteed accurate by the MLS. Buyers are responsible for verifying the accuracy of all information and should investigate the data themselves or retain appropriate professionals. Information from sources other than the Listing Agent may have been included in the MLS data. Unless otherwise specified in writing, Broker/Agent has not and will not verify any information obtained from other sources. The Broker/Agent providing the information contained herein may or may not have been the Listing and/or Selling Agent.