Connect

Find us on...

Dashboard

Login using...

Shawn Bengtson

Office Broker - DRE 01236964

  • Office 760-805-7199
Questions?

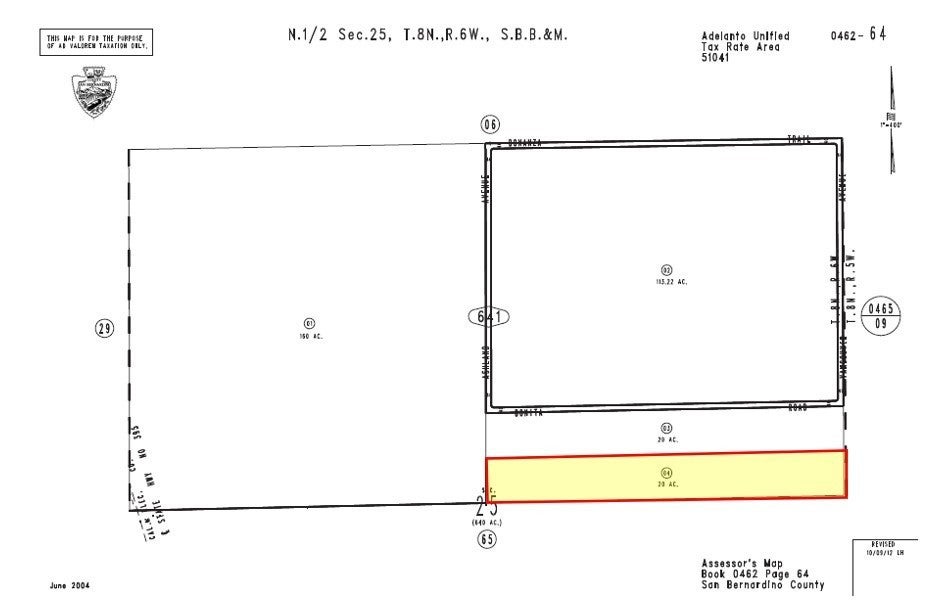
Clippen Road, Adelanto – $90,000

  • $90k Price
  • 20 Acres
  • 712 DOM
  • $90k Price
  • 20 Acres
  • 712 DOM

Clippen Road

±20 acres of unimproved rural land for sale on Clippen Rd in north Adelanto; APN: 0462-641-04. This location is just off of Highway 395 with a designated highway off ramp and road access to site. Zoned Resource Conservation (RC), this parcel is in an unincorporated portion of San Bernardino County and allows for a variety of uses, including residential, service, or industry purposes with permit. Located in the path of growth for Victorville, Adelanto, and Helendale. Nearby Southern California Logistics Airport in Victorville has recently doubled in size with the addition of nearly 4 million square feet of new warehouse space and is now home to globally dynamic tenants such as Amazon, Iron Mountain, Dr. Pepper/Keurig, Boeing, GE Aviation, M&M/Mars, and more. Buyer to verify all information contained herein. Agent and their representatives are not responsible for the accuracy of these claims.

Essential Information

  • MLS® #HD24047482
  • Price$90,000
  • Bathrooms0.00
  • Acres20.00
  • TypeLand
  • StatusActive

Community Information

  • AddressClippen Road
  • AreaADL - Adelanto
  • CityAdelanto
  • CountySan Bernardino
  • Zip Code92301

Amenities

  • UtilitiesWater Not Available
  • ViewDesert

Exterior

  • Lot DescriptionNo Landscaping

Additional Information

  • Date ListedMarch 8th, 2024
  • Days on Market712
  • ZoningRC

Listing Details

  • AgentMehdi Mostaedi
  • OfficeNAI Capital, Inc.
Please provide a valid email address.

Price Change History for Clippen Road, Adelanto, (MLS® #HD24047482)

Date Details Change
Price Reduced from $95,000 to $90,000 $5,000 (5.26%)
Price Reduced from $120,000 to $95,000 $25,000 (20.83%)

Mehdi Mostaedi, NAI Capital, Inc..

Based on information from California Regional Multiple Listing Service, Inc. as of February 18th, 2026 at 5:41pm PST. This information is for your personal, non-commercial use and may not be used for any purpose other than to identify prospective properties you may be interested in purchasing. Display of MLS data is usually deemed reliable but is NOT guaranteed accurate by the MLS. Buyers are responsible for verifying the accuracy of all information and should investigate the data themselves or retain appropriate professionals. Information from sources other than the Listing Agent may have been included in the MLS data. Unless otherwise specified in writing, Broker/Agent has not and will not verify any information obtained from other sources. The Broker/Agent providing the information contained herein may or may not have been the Listing and/or Selling Agent.