Connect

Find us on...

Dashboard

Login using...

Shawn Bengtson

Office Broker - DRE 01236964

  • Office 760-805-7199
Questions?

Dusty Lane, Barstow – $55,000

  • $55k Price
  • 39.01 Acres
  • 545 DOM
  • $55k Price
  • 39.01 Acres
  • 545 DOM

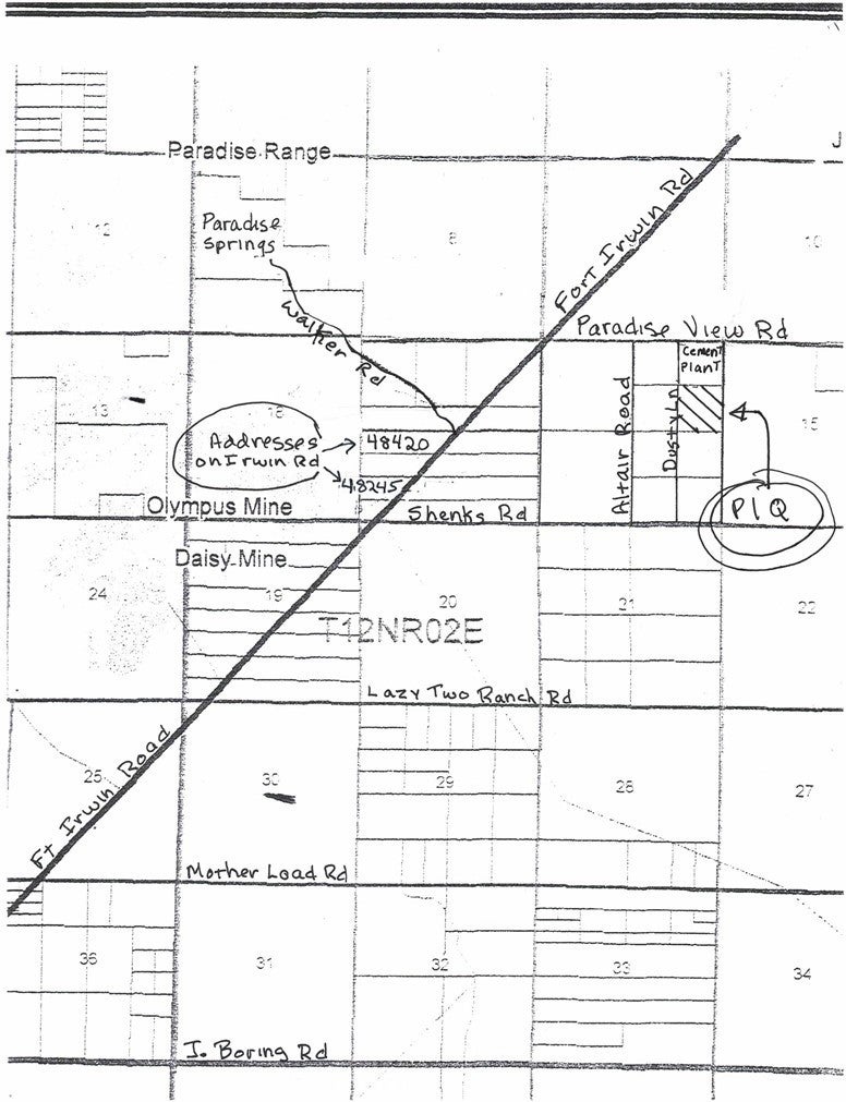
Dusty Lane

39.01 Acres located in beautiful Paradise Valley, only about 10 miles from Fort Irwin. From this property, you can see for miles, looking out over Coyote Dry Lake, clear over to the west side of Newberry Springs. The property adjoining to the north & to the west have electric so may not cost much to bring it to this property. Check with the electric company for pricing and availability. This parcel has legal access on Dusty Ln (AKA Sandy Ln) on the west. Take Fort Irwin Road north from Barstow. About 10 miles before you would get to the Ft Irwin Army Base, Turn right on Paradise View Rd. Right before the cement plant, turn right on Dusty Ln. (AKA Sandy Ln), go 1/4 mile to the NW corner of the parcel which will be on your left. Parcel has been surveyed. There are some pistachio trees on the property which haven't been watered for a long time so all or most are no longer alive but still on the property. Also there are two old sheds on north side of property but north property line appears to to through the sheds. Listing Agent is one of the Owners of the property.

Essential Information

  • MLS® #HD24146156
  • Price$55,000
  • Bathrooms0.00
  • Acres39.01
  • TypeLand
  • StatusActive

Community Information

  • AddressDusty Lane
  • AreaBSTW - Barstow
  • CityBarstow
  • CountySan Bernardino
  • Zip Code92311

Amenities

  • ViewDesert, Mountain(s)

Utilities

None, Sewer Not Available, Water Not Available

Exterior

Lot Description

Gentle Sloping, Horse Property, Lot Over 40000 Sqft, Rectangular Lot

Additional Information

  • Date ListedJuly 16th, 2024
  • Days on Market545
  • ZoningRC

Listing Details

  • AgentBarbara Krommenhoek
  • OfficeTrust Real Estate
Please provide a valid email address.

Price Change History for Dusty Lane, Barstow, (MLS® #HD24146156)

Date Details Change
Status Changed from Active Under Contract to Active
Status Changed from Active to Active Under Contract

Barbara Krommenhoek, Trust Real Estate.

Based on information from California Regional Multiple Listing Service, Inc. as of January 12th, 2026 at 8:36am PST. This information is for your personal, non-commercial use and may not be used for any purpose other than to identify prospective properties you may be interested in purchasing. Display of MLS data is usually deemed reliable but is NOT guaranteed accurate by the MLS. Buyers are responsible for verifying the accuracy of all information and should investigate the data themselves or retain appropriate professionals. Information from sources other than the Listing Agent may have been included in the MLS data. Unless otherwise specified in writing, Broker/Agent has not and will not verify any information obtained from other sources. The Broker/Agent providing the information contained herein may or may not have been the Listing and/or Selling Agent.