Connect

Find us on...

Dashboard

Login using...

Shawn Bengtson

Office Broker - DRE 01236964

  • Office 760-805-7199
Questions?

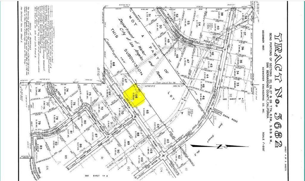
Guatala Rd., Barstow – $24,350

  • $24.4k Price
  • 2.2 Acres
  • 475 DOM
  • $24.4k Price
  • 2.2 Acres
  • 475 DOM

Guatala Rd.

This is about 2.2 acre lot located between Wild Wash Rd and Dale Evans Pkwy. between Victorville and Barstow , it seems to be in the Apple Valley unincorporated area in San Bernardino County. May be a nice place to ride your off Road vehicles, Camping, etc; As permitted by S.B. county. Power lines are along Willow Springs Rd, but not on property. This is a Rural area. No utilities available nearby. May use for recreational purposes or to live off the grid. Some occupied Manufactured homes within the area. This lot is about 3.0 Miles of dirt rd. from Paved Rd. Dale Evans Pkwy. Buyer must verify all information regarding the property including, square Footage, Property Boundaries, Zoning, permitted Uses, Utilities availability and Costs, Etc; with the appropriate agencies. Property has not been surveyed and seller will not pay for a survey. Information herein was obtained from sources we deem reliable, but no guarantee of any kind is herein made or implied by seller / agents.

Essential Information

  • MLS® #HD24181150
  • Price$24,350
  • Bathrooms0.00
  • Acres2.20
  • TypeLand
  • StatusActive

Community Information

  • AddressGuatala Rd.
  • AreaBSTW - Barstow
  • CityBarstow
  • CountySan Bernardino
  • Zip Code92311

Amenities

  • ViewDesert, Mountain(s), Valley

Utilities

None, Sewer Not Available, Water Not Available

Exterior

Lot Description

ZeroToOneUnitAcre, Level, Rectangular Lot, Value In Land

Additional Information

  • Date ListedAugust 31st, 2024
  • Days on Market475
  • ZoningRC

Listing Details

  • AgentRicardo Pelayo
  • OfficeHesperia Real Estate & Loans
Please provide a valid email address.

Price Change History for Guatala Rd., Barstow, (MLS® #HD24181150)

Date Details Change
Price Reduced from $24,400 to $24,350 $50 (0.20%)
Price Reduced from $24,450 to $24,400 $50 (0.20%)
Price Reduced from $24,470 to $24,450 $20 (0.08%)
Price Reduced from $24,480 to $24,470 $10 (0.04%)
Price Reduced from $24,489 to $24,480 $9 (0.04%)
Show More (4)

Ricardo Pelayo, Hesperia Real Estate & Loans.

Based on information from California Regional Multiple Listing Service, Inc. as of December 19th, 2025 at 9:56am PST. This information is for your personal, non-commercial use and may not be used for any purpose other than to identify prospective properties you may be interested in purchasing. Display of MLS data is usually deemed reliable but is NOT guaranteed accurate by the MLS. Buyers are responsible for verifying the accuracy of all information and should investigate the data themselves or retain appropriate professionals. Information from sources other than the Listing Agent may have been included in the MLS data. Unless otherwise specified in writing, Broker/Agent has not and will not verify any information obtained from other sources. The Broker/Agent providing the information contained herein may or may not have been the Listing and/or Selling Agent.