Connect

Find us on...

Dashboard

Login using...

Shawn Bengtson

Office Broker - DRE 01236964

  • Office 760-805-7199
Questions?

Helendale Road, Adelanto – $55,000

  • $55k Price
  • 8.6 Acres
  • 511 DOM
  • $55k Price
  • 8.6 Acres
  • 511 DOM

Helendale Road

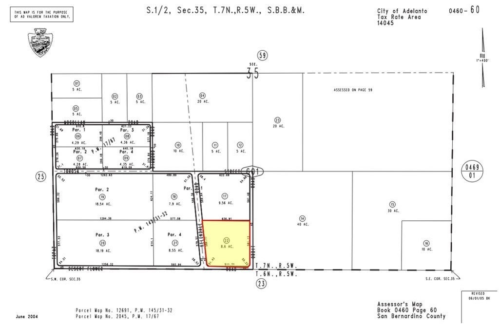
±8.6 acres of unimproved residential land at the corner of Desert Flower and Helendale Rd in Adelanto; APN: 0460-601-22. Zoned Desert Living (DL-9) this lot permits for the development of 1 dwelling unit per 9 acres. This location is also within a Qualified Opportunity Zone and eligible for potential tax benefits. This site abuts the Southern California Logistics Airport. The Airport recently completed approximately 4MM square ft of expansion and is now home to major global leaders of industry such as Amazon, Boeing, GE Aviation, Kuerig Dr. Pepper, M&M/Mars, Newell Rubbermaid, and more. As an extension of the Inland Empire, the High Desert continues to grow with millions of square feet of planned industrial and tens of thousands of housing units under construction. Buyer to verify all information contained herein. Agent and their representatives are not responsible for the accuracy of these claims.

Essential Information

  • MLS® #HD24200401
  • Price$55,000
  • Bathrooms0.00
  • Acres8.60
  • TypeLand
  • StatusActive

Community Information

  • AddressHelendale Road
  • AreaADL - Adelanto
  • CityAdelanto
  • CountySan Bernardino
  • Zip Code92301

Amenities

  • ViewDesert

Exterior

  • Lot DescriptionNo Landscaping

Additional Information

  • Date ListedSeptember 25th, 2024
  • Days on Market511
  • ZoningDL-9

Listing Details

  • AgentMehdi Mostaedi
  • OfficeNAI Capital, Inc.
Please provide a valid email address.

Price Change History for Helendale Road, Adelanto, (MLS® #HD24200401)

Date Details Change
Price Reduced from $70,000 to $55,000 $15,000 (21.43%)

Mehdi Mostaedi, NAI Capital, Inc..

Based on information from California Regional Multiple Listing Service, Inc. as of February 18th, 2026 at 10:49pm PST. This information is for your personal, non-commercial use and may not be used for any purpose other than to identify prospective properties you may be interested in purchasing. Display of MLS data is usually deemed reliable but is NOT guaranteed accurate by the MLS. Buyers are responsible for verifying the accuracy of all information and should investigate the data themselves or retain appropriate professionals. Information from sources other than the Listing Agent may have been included in the MLS data. Unless otherwise specified in writing, Broker/Agent has not and will not verify any information obtained from other sources. The Broker/Agent providing the information contained herein may or may not have been the Listing and/or Selling Agent.