Connect

Find us on...

Dashboard

Login using...

Shawn Bengtson

Office Broker - DRE 01236964

  • Office 760-805-7199
Questions?

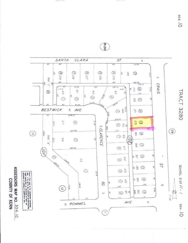
9004 Craig, California City – $7,010

  • $7k Price
  • .24 Acres
  • 395 DOM
  • $7k Price
  • .24 Acres
  • 395 DOM

9004 Craig

TRUST SALE !! LOOKING TO RETIRE? BUILD A NICE HOME IN A QUIET AREA? HERE YOU GO. UTILITIES SEEM TO BE HERE. OUT AN ABOUT YET CLOSE ENOUGH TO TOWN COME AND BUILD YOUR HOME .. Latitude 35.227165 Longitude-117.782749

Essential Information

  • MLS® #HD24239061
  • Price$7,010
  • Bathrooms0.00
  • Acres0.24
  • TypeLand
  • StatusActive

Community Information

  • Address9004 Craig
  • AreaCAC - California City
  • CityCalifornia City
  • CountyKern
  • Zip Code93505

Amenities

  • UtilitiesWater Not Available
  • ViewDesert

Exterior

  • Lot DescriptionZeroToOneUnitAcre

Additional Information

  • Date ListedNovember 22nd, 2024
  • Days on Market395
  • ZoningR1

Listing Details

  • AgentBenjamin Torrez
  • OfficeGenesis 1 Realty
Please provide a valid email address.

Benjamin Torrez, Genesis 1 Realty.

Based on information from California Regional Multiple Listing Service, Inc. as of December 22nd, 2025 at 10:55am PST. This information is for your personal, non-commercial use and may not be used for any purpose other than to identify prospective properties you may be interested in purchasing. Display of MLS data is usually deemed reliable but is NOT guaranteed accurate by the MLS. Buyers are responsible for verifying the accuracy of all information and should investigate the data themselves or retain appropriate professionals. Information from sources other than the Listing Agent may have been included in the MLS data. Unless otherwise specified in writing, Broker/Agent has not and will not verify any information obtained from other sources. The Broker/Agent providing the information contained herein may or may not have been the Listing and/or Selling Agent.