Connect

Find us on...

Dashboard

Login using...

Shawn Bengtson

Office Broker - DRE 01236964

  • Office 760-805-7199
Questions?

Brockman Avenue, Adelanto – $60,000

  • $60k Price
  • .31 Acres
  • 324 DOM
  • $60k Price
  • .31 Acres
  • 324 DOM

Brockman Avenue

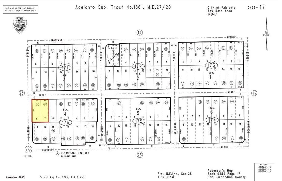
±0.31 acres of unimproved industrial land for sale at the corner of Brockman Ave and Jonathan St in Adelanto; APNs: 0459-171-01, 02. These lots are zoned Business Park (BP) and permit for development that may be related and supportive of SCLA along with synergistic uses like research and design, medical and professional offices, schools/studios for professional and business advancement, and health and fitness facilities, and consideration given to warehousing/manufacturing uses. This location is also within a Qualified Opportunity Zone and eligible for potential tax benefits. Water, sewer, and power are all at site. This location is in proximity to support the Southern California Logistics Airport, whose tenant roster includes Amazon, Boeing, GE Aviation, Kuerig Dr. Pepper, M&M/Mars, Newell Rubbermaid, and more. Less than one-half mile to Highway 395, 12 miles to Interstate 15, and 70 miles to the Ports of Los Angeles. This site is also approximately 25 miles from BNSF’s future Barstow International Gateway (BIG), a state-of-the-art intermodal facility spanning 4,500-acres designed to revolutionize international logistics and distribution regionally and domestically. Buyer to verify all information contained herein. Agent and their representatives are not responsible for the accuracy of these claims.

Essential Information

  • MLS® #HD25006930
  • Price$60,000
  • Bathrooms0.00
  • Acres0.31
  • TypeLand
  • StatusActive

Community Information

  • AddressBrockman Avenue
  • AreaADL - Adelanto
  • CityAdelanto
  • CountySan Bernardino
  • Zip Code92301

Amenities

  • ViewDesert

Exterior

  • Lot DescriptionNo Landscaping

Additional Information

  • Date ListedJanuary 10th, 2025
  • Days on Market324
  • ZoningBP

Listing Details

  • AgentMehdi Mostaedi
  • OfficeNAI Capital, Inc.
Please provide a valid email address.

Price Change History for Brockman Avenue, Adelanto, (MLS® #HD25006930)

Date Details Change
Price Reduced from $69,000 to $60,000 $9,000 (13.04%)

Mehdi Mostaedi, NAI Capital, Inc..

Based on information from California Regional Multiple Listing Service, Inc. as of November 30th, 2025 at 5:35am PST. This information is for your personal, non-commercial use and may not be used for any purpose other than to identify prospective properties you may be interested in purchasing. Display of MLS data is usually deemed reliable but is NOT guaranteed accurate by the MLS. Buyers are responsible for verifying the accuracy of all information and should investigate the data themselves or retain appropriate professionals. Information from sources other than the Listing Agent may have been included in the MLS data. Unless otherwise specified in writing, Broker/Agent has not and will not verify any information obtained from other sources. The Broker/Agent providing the information contained herein may or may not have been the Listing and/or Selling Agent.