Connect

Find us on...

Dashboard

Login using...

Shawn Bengtson

Office Broker - DRE 01236964

  • Office 760-805-7199
Questions?

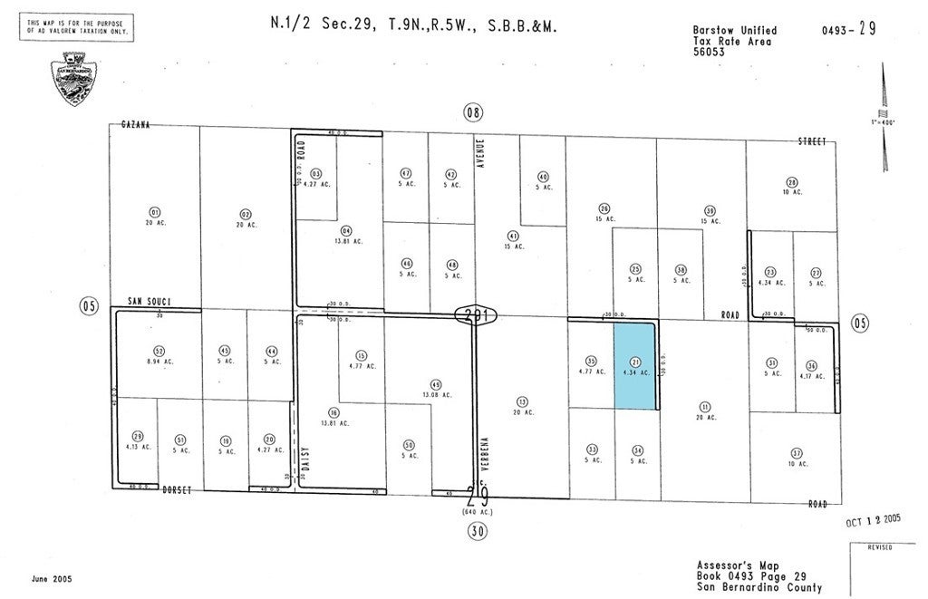
Near Bellflower, Adelanto – $14,200

  • $14.2k Price
  • 4.34 Acres
  • 185 DOM
  • $14.2k Price
  • 4.34 Acres
  • 185 DOM

Near Bellflower

Positioned just minutes from Highway 395 and centrally located near planned development areas, this property boasts excellent access and visibility. With open zoning typical of Adelanto’s High Desert, the lot may support a variety of residential or light commercial uses (buyer to verify with the city). Enjoy the serenity of the Mojave Desert while being close to shopping, schools, and the Southern California Logistics Airport. Whether you're looking to landbank, build, or invest in one of Southern California's most affordable areas, this property offers incredible potential at an unbeatable price.

Essential Information

  • MLS® #HD25104335
  • Price$14,200
  • Bathrooms0.00
  • Acres4.34
  • TypeLand
  • StatusActive

Community Information

  • AddressNear Bellflower
  • AreaADL - Adelanto
  • CityAdelanto
  • CountySan Bernardino
  • Zip Code92301

Amenities

  • UtilitiesWater Not Available
  • ViewDesert

Exterior

  • Lot DescriptionLot Over 40000 Sqft

Additional Information

  • Date ListedMay 13th, 2025
  • Days on Market185
  • ZoningRC

Listing Details

  • AgentMarcus Shivers
  • OfficeKeller Williams Victor Valley
Please provide a valid email address.

Marcus Shivers, Keller Williams Victor Valley.

Based on information from California Regional Multiple Listing Service, Inc. as of November 14th, 2025 at 11:57am PST. This information is for your personal, non-commercial use and may not be used for any purpose other than to identify prospective properties you may be interested in purchasing. Display of MLS data is usually deemed reliable but is NOT guaranteed accurate by the MLS. Buyers are responsible for verifying the accuracy of all information and should investigate the data themselves or retain appropriate professionals. Information from sources other than the Listing Agent may have been included in the MLS data. Unless otherwise specified in writing, Broker/Agent has not and will not verify any information obtained from other sources. The Broker/Agent providing the information contained herein may or may not have been the Listing and/or Selling Agent.