Connect

Find us on...

Dashboard

Login using...

Shawn Bengtson

Office Broker - DRE 01236964

  • Office 760-805-7199
Questions?

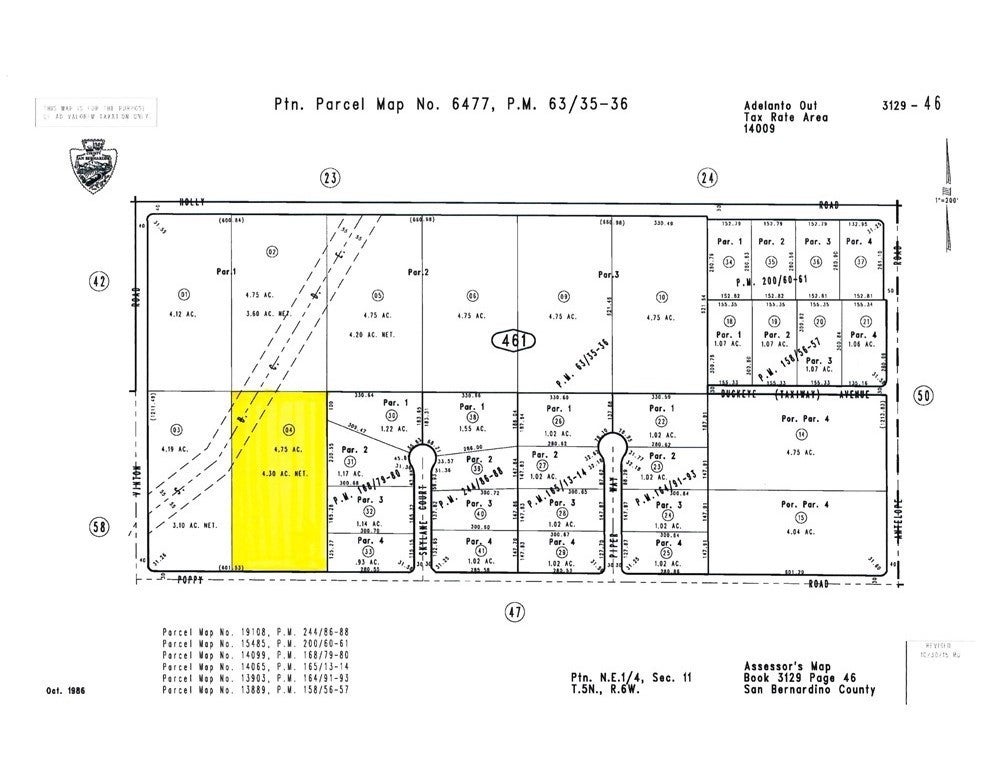
Poppy Road, Adelanto – $105,000

  • $105k Price
  • Acres
  • 256 DOM
  • $105k Price
  • Acres
  • 256 DOM

Poppy Road

Now available for sale, this ±4.75-acre parcel of vacant land is located within the Adelanto Airport Park, a growing commercial and industrial area in the City of Adelanto. The property features relatively flat topography, making it an ideal candidate for development. With convenient access to Highway 395 and proximity to Southern California Logistics Airport, this site offers strong potential for industrial, aviation-related, or commercial uses. Zoned for flexible development, this parcel represents a prime opportunity to invest in the expanding High Desert region.

Essential Information

  • MLS® #HD25137130
  • Price$105,000
  • Bathrooms0.00
  • Acres4.75
  • TypeLand
  • StatusActive

Community Information

  • AddressPoppy Road
  • AreaADL - Adelanto
  • CityAdelanto
  • CountySan Bernardino
  • Zip Code92301

Amenities

  • UtilitiesWater Not Available
  • ViewDesert

Exterior

  • Lot DescriptionRectangular Lot

Additional Information

  • Date ListedJune 18th, 2025
  • Days on Market256
  • ZoningAirport Park

Listing Details

  • AgentPaul Casilla
  • OfficeLee & Associates
Please provide a valid email address.

Price Change History for Poppy Road, Adelanto, (MLS® #HD25137130)

Date Details Change
Price Reduced from $118,750 to $105,000 $13,750 (11.58%)

Paul Casilla, Lee & Associates.

Based on information from California Regional Multiple Listing Service, Inc. as of March 1st, 2026 at 5:55am PST. This information is for your personal, non-commercial use and may not be used for any purpose other than to identify prospective properties you may be interested in purchasing. Display of MLS data is usually deemed reliable but is NOT guaranteed accurate by the MLS. Buyers are responsible for verifying the accuracy of all information and should investigate the data themselves or retain appropriate professionals. Information from sources other than the Listing Agent may have been included in the MLS data. Unless otherwise specified in writing, Broker/Agent has not and will not verify any information obtained from other sources. The Broker/Agent providing the information contained herein may or may not have been the Listing and/or Selling Agent.