Connect

Find us on...

Dashboard

Login using...

Shawn Bengtson

Office Broker - DRE 01236964

  • Office 760-805-7199
Questions?

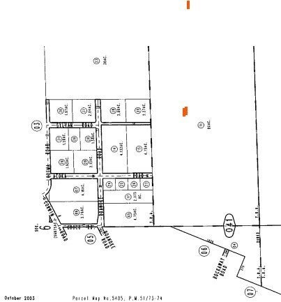
Roanoke Road, Apple Valley – $130,000

  • $130k Price
  • 2.38 Acres
  • 243 DOM
  • $130k Price
  • 2.38 Acres
  • 243 DOM

Roanoke Road

Great large lot in Desert Knolls area with a great view. New construction near this beautiful 2.3 acre home site. Perfect to build out your custom dream home and large enough for a mini estate or small ranch. Nice property in a great location of Apple Valley. Per the liberty mutual the property address is 19767 Roanoke and it already has a 1 inch water meter installed. At the Northeast corner is a water pressure reducer vault. Owner had a perc test done on the lot and sewer line is at the Northwest corner. Electrical is all underground in this area. Please verify with the town and SCE.

Essential Information

  • MLS® #HD25142103
  • Price$130,000
  • Bathrooms0.00
  • Acres2.38
  • TypeLand
  • StatusActive

Community Information

  • AddressRoanoke Road
  • AreaAPPV - Apple Valley
  • CityApple Valley
  • CountySan Bernardino
  • Zip Code92307

Amenities

  • ViewMountain(s), Desert

Utilities

Electricity Available, Phone Available, Sewer Available, Water Available

Exterior

Lot Description

Paved, Percolate, Sloped Down, TwoToFiveUnitsAcre

Additional Information

  • Date ListedJune 23rd, 2025
  • Days on Market243
  • Zoningres

Listing Details

  • AgentJames Phillips
  • OfficeColdwell Banker Commercial Rea
Please provide a valid email address.

Price Change History for Roanoke Road, Apple Valley, (MLS® #HD25142103)

Date Details Change
Price Reduced from $139,000 to $130,000 $9,000 (6.47%)

James Phillips, Coldwell Banker Commercial Rea.

Based on information from California Regional Multiple Listing Service, Inc. as of February 22nd, 2026 at 6:15am PST. This information is for your personal, non-commercial use and may not be used for any purpose other than to identify prospective properties you may be interested in purchasing. Display of MLS data is usually deemed reliable but is NOT guaranteed accurate by the MLS. Buyers are responsible for verifying the accuracy of all information and should investigate the data themselves or retain appropriate professionals. Information from sources other than the Listing Agent may have been included in the MLS data. Unless otherwise specified in writing, Broker/Agent has not and will not verify any information obtained from other sources. The Broker/Agent providing the information contained herein may or may not have been the Listing and/or Selling Agent.