Connect

Find us on...

Dashboard

Login using...

Shawn Bengtson

Office Broker - DRE 01236964

  • Office 760-805-7199
Questions?

8112 Mendiburu Road, California City – $16,000

  • $16k Price
  • ¼ Acres
  • 240 DOM
  • $16k Price
  • ¼ Acres
  • 240 DOM

8112 Mendiburu Road

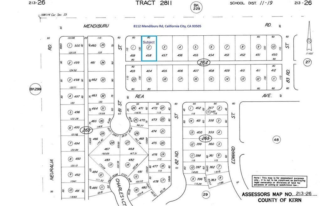
8112 Mendiburu Rd, California City, CA 93505 APN: 213-264-02 For sale is an almost 11,000 (.247 of an acre) sq feet R1/R2 duplex lot in the newest area of California City. This lot can be used for a single family home or a duplex. This lot features walking distance to the California City High School, a quite and newer neighborhood, new recently paved frontage road, electric, water, and sewer in the street. Buyer to verify if sewer is in the street or by septic. The front of the lot has a new street, thus the pictures do not show it if you look on google maps. But when you pass by the lot you will see that it is newly paved road in the front. Priced to sell! Directions: Start at California City High School at 8567 Raven Way, California City, CA 93505 then go north on Rusche Blvd. Make the first left on Mendiburu Rd, pass 83rd St until you get to 81st St. Then turn around. The lot is the 2nd lot on the south side. Please use the parcel map from here. GPS Coordinates: 35.140297, -117.984120

Essential Information

  • MLS® #HD25153443
  • Price$16,000
  • Bathrooms0.00
  • Acres0.25
  • TypeLand
  • StatusActive

Community Information

  • Address8112 Mendiburu Road
  • AreaCAC - California City
  • CityCalifornia City
  • CountyKern
  • Zip Code93505

Amenities

  • ViewNeighborhood

Utilities

Electricity Available, Sewer Available, Water Available

Exterior

  • Lot DescriptionLevel

Additional Information

  • Date ListedJuly 8th, 2025
  • Days on Market240
  • ZoningRM1/RM2

Listing Details

  • AgentPolly Yamat
  • OfficeBancorp One, Inc.
Please provide a valid email address.

Price Change History for 8112 Mendiburu Road, California City, (MLS® #HD25153443)

Date Details Change
Price Increased from $11,000 to $16,000 $5,000 (45.45%)
Price Reduced from $12,000 to $11,000 $1,000 (8.33%)
Price Reduced from $16,000 to $12,000 $4,000 (25.00%)

Polly Yamat, Bancorp One, Inc..

Based on information from California Regional Multiple Listing Service, Inc. as of March 5th, 2026 at 2:41am PST. This information is for your personal, non-commercial use and may not be used for any purpose other than to identify prospective properties you may be interested in purchasing. Display of MLS data is usually deemed reliable but is NOT guaranteed accurate by the MLS. Buyers are responsible for verifying the accuracy of all information and should investigate the data themselves or retain appropriate professionals. Information from sources other than the Listing Agent may have been included in the MLS data. Unless otherwise specified in writing, Broker/Agent has not and will not verify any information obtained from other sources. The Broker/Agent providing the information contained herein may or may not have been the Listing and/or Selling Agent.