Connect

Find us on...

Dashboard

Login using...

Shawn Bengtson

Office Broker - DRE 01236964

  • Office 760-805-7199
Questions?

Morning Glory, Adelanto – $40,000

  • $40k Price
  • .94 Acres
  • 118 DOM
  • $40k Price
  • .94 Acres
  • 118 DOM

Morning Glory

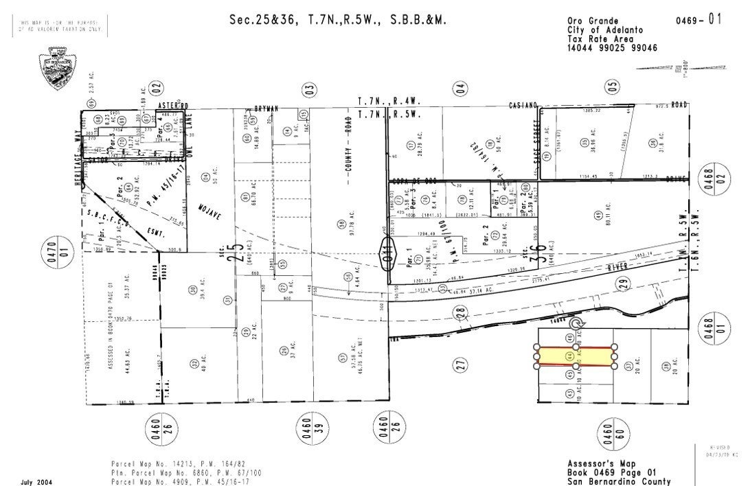
±10 acres of unimproved residential land for sale on Morning Glory Rd in Adelanto; APN: 0469-011-45. Zoned Desert Living (DL-9) this lot will allow for a variety of secondary uses in conjunction with a primary residential use, including equestrian facilities, agricultural uses, and the raising of small animals, commercial kennels, stables, and others varied commercial activities subject to a conditional use permit. This site is immediately north of the Southern California Logistics Airport, which is home to such companies as Amazon, Boeing, General Electric, Goodyear Tire, Dr. Pepper/Keurig, Newell Rubbermaid, M&M/Mars, and more. Millions of square feet of industrial product are entitled in this area of Adelanto, bringing a massive amount of infrastructure to the surrounding parcels. This site is also approximately 25 miles from BNSF’s future Barstow International Gateway (BIG), a state-of-the-art intermodal facility spanning 4,500-acres designed to revolutionize international logistics and distribution regionally and domestically. Buyer to verify all information contained herein. Agent and their representatives are not responsible for the accuracy of these claims.

Essential Information

  • MLS® #HD25187422
  • Price$40,000
  • Bathrooms0.00
  • Acres0.94
  • TypeLand
  • StatusActive

Community Information

  • AddressMorning Glory
  • AreaADL - Adelanto
  • CityAdelanto
  • CountySan Bernardino
  • Zip Code92301

Amenities

  • ViewDesert

Exterior

  • Lot DescriptionNo Landscaping

Additional Information

  • Date ListedAugust 19th, 2025
  • Days on Market118
  • ZoningDL-9

Listing Details

  • AgentMehdi Mostaedi
  • OfficeNAI Capital, Inc.
Please provide a valid email address.

Mehdi Mostaedi, NAI Capital, Inc..

Based on information from California Regional Multiple Listing Service, Inc. as of December 15th, 2025 at 8:50am PST. This information is for your personal, non-commercial use and may not be used for any purpose other than to identify prospective properties you may be interested in purchasing. Display of MLS data is usually deemed reliable but is NOT guaranteed accurate by the MLS. Buyers are responsible for verifying the accuracy of all information and should investigate the data themselves or retain appropriate professionals. Information from sources other than the Listing Agent may have been included in the MLS data. Unless otherwise specified in writing, Broker/Agent has not and will not verify any information obtained from other sources. The Broker/Agent providing the information contained herein may or may not have been the Listing and/or Selling Agent.