Connect

Find us on...

Dashboard

Login using...

Shawn Bengtson

Office Broker - DRE 01236964

  • Office 760-805-7199
Questions?

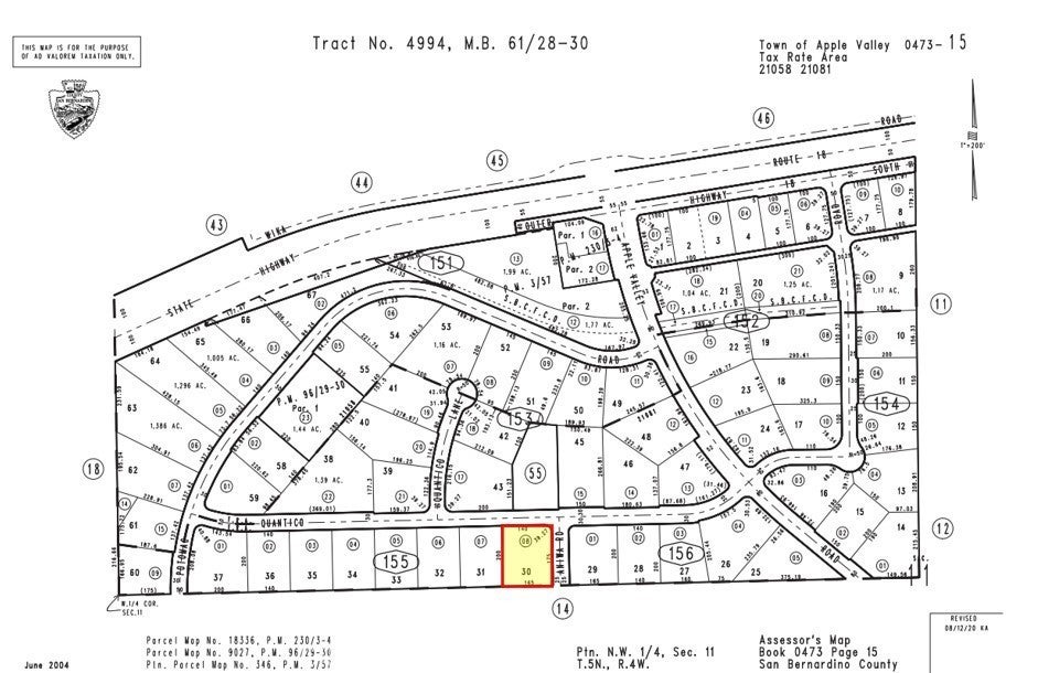
Quantico Rd, Apple Valley – $145,000

  • $145k Price
  • .76 Acres
  • 167 DOM
  • $145k Price
  • .76 Acres
  • 167 DOM

Quantico Rd

Remarkable Opportunity for sale. ±0.76 Acres of vacant land, Zoned Multi-Family, on Quantico Road in Beautiful Apple Valley, California. APN: 0473-155-08. Located just 90 miles from Los Angeles and 190 miles to Las Vegas is the beautiful and rapidly-developing high desert community of Apple Valley, California. This is your opportunity to own approximately 3/4 of an acre of land zoned multi-family in a prime area of Apple Valley just minutes from a Starbucks, multiple restaurants, a medical center and shopping and just 7 miles from the city of Victorville. For less than the cost of land to build one home in Los Angeles, you have the opportunity to build up to 14 apartment units. Water, electricity and gas are right at the street! Unlimited potential on a rare corner lot only about 10 blocks from Highway 18 and only a few miles to Highway 15. Perfect for commuters! Beautiful Apple Valley is one of the last few affordable building locations in Southern California and it is rapidly being developed. Buyer to verify all information contained herein. Agent and their representatives are not responsible for the accuracy of these claims

Essential Information

  • MLS® #HD25195145
  • Price$145,000
  • Bathrooms0.00
  • Acres0.76
  • TypeLand
  • StatusActive

Community Information

  • AddressQuantico Rd
  • AreaAPPV - Apple Valley
  • CityApple Valley
  • CountySan Bernardino
  • Zip Code92307

Amenities

  • ViewDesert

Exterior

  • Lot DescriptionNo Landscaping

Additional Information

  • Date ListedAugust 29th, 2025
  • Days on Market167
  • ZoningR-M

Listing Details

  • AgentMehdi Mostaedi
  • OfficeNAI Capital, Inc.
Please provide a valid email address.

Price Change History for Quantico Rd, Apple Valley, (MLS® #HD25195145)

Date Details Change
Price Reduced from $152,000 to $145,000 $7,000 (4.61%)

Mehdi Mostaedi, NAI Capital, Inc..

Based on information from California Regional Multiple Listing Service, Inc. as of February 12th, 2026 at 8:26pm PST. This information is for your personal, non-commercial use and may not be used for any purpose other than to identify prospective properties you may be interested in purchasing. Display of MLS data is usually deemed reliable but is NOT guaranteed accurate by the MLS. Buyers are responsible for verifying the accuracy of all information and should investigate the data themselves or retain appropriate professionals. Information from sources other than the Listing Agent may have been included in the MLS data. Unless otherwise specified in writing, Broker/Agent has not and will not verify any information obtained from other sources. The Broker/Agent providing the information contained herein may or may not have been the Listing and/or Selling Agent.