Connect

Find us on...

Dashboard

Login using...

Shawn Bengtson

Office Broker - DRE 01236964

  • Office 760-805-7199
Questions?

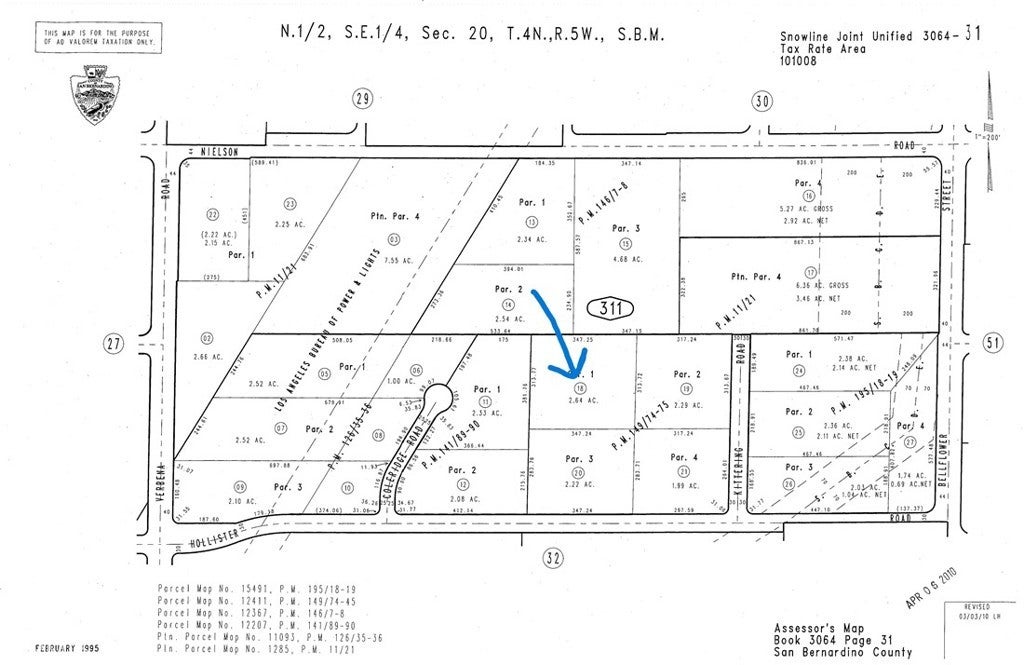
Kittering Road, Oak Hills – $120,000

  • $120k Price
  • 2.64 Acres
  • 126 DOM
  • $120k Price
  • 2.64 Acres
  • 126 DOM

Kittering Road

***Build Your Dream Property***This 2.64-acre flat parcel offers endless possibilities for your future home or ranch***Located in a desirable area with utilities adjacent, this property is ready for development**Zoned for horse property, the land provides plenty of room for animals, outbuildings, or a custom estate** Enjoy the peace and open space of country living while still being just minutes from shopping, dining, and commuter routes** A fantastic opportunity to invest in usable land with stunning desert and mountain views**

Essential Information

  • MLS® #HD25217664
  • Price$120,000
  • Bathrooms0.00
  • Acres2.64
  • TypeLand
  • StatusActive

Community Information

  • AddressKittering Road
  • AreaOKH - Oak Hills
  • CityOak Hills
  • CountySan Bernardino
  • Zip Code92344

Amenities

Utilities

None, Sewer Not Available, Water Not Available

View

Desert, Mountain(s), Neighborhood

Exterior

  • Lot DescriptionTwoToFiveUnitsAcre

Additional Information

  • Date ListedSeptember 24th, 2025
  • Days on Market126
  • ZoningOH/RL

Listing Details

  • AgentKimberly Jarrard
  • OfficeRE/MAX FREEDOM
Please provide a valid email address.

Kimberly Jarrard, RE/MAX FREEDOM.

Based on information from California Regional Multiple Listing Service, Inc. as of January 28th, 2026 at 8:55am PST. This information is for your personal, non-commercial use and may not be used for any purpose other than to identify prospective properties you may be interested in purchasing. Display of MLS data is usually deemed reliable but is NOT guaranteed accurate by the MLS. Buyers are responsible for verifying the accuracy of all information and should investigate the data themselves or retain appropriate professionals. Information from sources other than the Listing Agent may have been included in the MLS data. Unless otherwise specified in writing, Broker/Agent has not and will not verify any information obtained from other sources. The Broker/Agent providing the information contained herein may or may not have been the Listing and/or Selling Agent.