Connect

Find us on...

Dashboard

Login using...

Shawn Bengtson

Office Broker - DRE 01236964

  • Office 760-805-7199
Questions?

Mojave, Adelanto – $239,000

  • $239k Price
  • 1.92 Acres
  • 134 DOM
  • $239k Price
  • 1.92 Acres
  • 134 DOM

Mojave

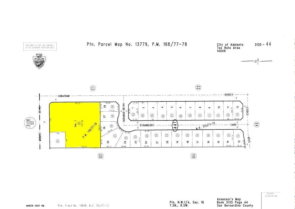
Highly desirable 1.91-acre corner commercial parcel located in a rapidly growing submarket. The site benefits from excellent frontage and visibility, multiple points of access, and utilities available at the street. Zoned General Commercial. Two Blocks from Hwy 395 on main road. All utilities are in the street. Buyer to verify zoning, utilities, and all property information. Invest today in affordable commercial! APN: 3135441020000

Essential Information

  • MLS® #HD25235174
  • Price$239,000
  • Bathrooms0.00
  • Acres1.92
  • TypeLand
  • StatusActive

Community Information

  • AddressMojave
  • AreaADL - Adelanto
  • CityAdelanto
  • CountySan Bernardino
  • Zip Code92301

Amenities

  • UtilitiesSee Remarks
  • ViewHills, Desert

Exterior

  • Lot DescriptionTwoToFiveUnitsAcre

Additional Information

  • Date ListedOctober 8th, 2025
  • Days on Market134
  • ZoningCommercial VL

Listing Details

  • AgentNicholas Dicosola
  • OfficeColdwell Banker Commercial Rea
Please provide a valid email address.

Price Change History for Mojave, Adelanto, (MLS® #HD25235174)

Date Details Change
Price Reduced from $250,000 to $239,000 $11,000 (4.40%)
Price Reduced from $279,900 to $250,000 $29,900 (10.68%)

Nicholas Dicosola, Coldwell Banker Commercial Rea.

Based on information from California Regional Multiple Listing Service, Inc. as of February 21st, 2026 at 4:10am PST. This information is for your personal, non-commercial use and may not be used for any purpose other than to identify prospective properties you may be interested in purchasing. Display of MLS data is usually deemed reliable but is NOT guaranteed accurate by the MLS. Buyers are responsible for verifying the accuracy of all information and should investigate the data themselves or retain appropriate professionals. Information from sources other than the Listing Agent may have been included in the MLS data. Unless otherwise specified in writing, Broker/Agent has not and will not verify any information obtained from other sources. The Broker/Agent providing the information contained herein may or may not have been the Listing and/or Selling Agent.