Connect

Find us on...

Dashboard

Login using...

Shawn Bengtson

Office Broker - DRE 01236964

  • Office 760-805-7199
Questions?

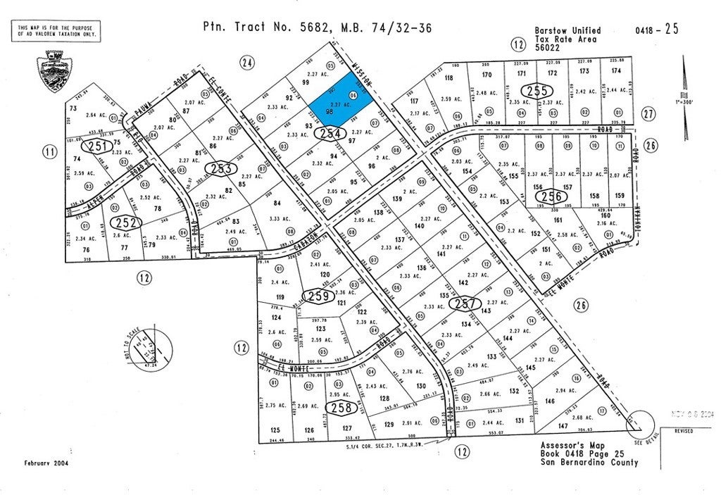
Slash-x Ranch Rd #3, Apple Valley – $14,900

  • $14.9k Price
  • 2.27 Acres
  • 111 DOM
  • $14.9k Price
  • 2.27 Acres
  • 111 DOM

Slash-x Ranch Rd #3

Welcome to the wide-open beauty of Apple Valley’s High Desert! This parcel sits just off Dale Evans Rd extension on Slash-X Ranch Road, offering the perfect mix of peace, privacy, and potential. The property features flat, usable terrain with easy dirt-road access and sweeping desert and mountain views in every direction. Whether you’re looking for a future home site, a weekend getaway, or a smart land investment, this parcel is an outstanding opportunity to own a piece of Southern California’s rapidly growing desert region. Located in unincorporated San Bernardino County, this area has long been appreciated for its flexible rural zoning, which allows for a variety of uses—residential, agricultural, or recreational. The lot is surrounded by other large-acre parcels, creating a quiet, spacious environment perfect for off-grid living or small ranch use. Buyers can explore options for solar, well water, and septic systems to create a self-sufficient desert retreat. The property is accessible via well-traveled local roads that connect to Apple Valley’s town center, Lucerne Valley, and Barstow. This region of Apple Valley continues to attract attention from solar developers, off-grid enthusiasts, and long-term investors thanks to its affordability and central location within the High Desert corridor. Nearby landmarks include the historic Slash-X Ranch Café, off-road riding areas, and vast stretches of open BLM land ideal for outdoor recreation. Major infrastructure investments and housing expansion in the High Desert communities—Apple Valley, Victorville, Barstow, and Lucerne Valley—continue to make land ownership here a solid investment for the future. If you’re seeking a parcel with easy access, open space, and long-term potential, this property checks every box. Explore your options, bring your vision, and take advantage of this chance to secure nearly two and a quarter acres of land in one of Southern California’s most promising rural areas. No utilities connected; buyer to verify zoning, use, and availability of utilities with the County of San Bernardino.

Essential Information

  • MLS® #HD25251659
  • Price$14,900
  • Bathrooms0.00
  • Acres2.27
  • TypeLand
  • StatusActive

Community Information

  • AddressSlash-x Ranch Rd #3
  • AreaAPPV - Apple Valley
  • CityApple Valley
  • CountySan Bernardino
  • Zip Code92307

Amenities

  • UtilitiesWater Not Available
  • ViewDesert

Exterior

  • Lot DescriptionLot Over 40000 Sqft

Additional Information

  • Date ListedNovember 2nd, 2025
  • Days on Market111
  • ZoningRC

Listing Details

  • AgentMarcus Shivers
  • OfficeKeller Williams Victor Valley
Please provide a valid email address.

Marcus Shivers, Keller Williams Victor Valley.

Based on information from California Regional Multiple Listing Service, Inc. as of February 22nd, 2026 at 3:45pm PST. This information is for your personal, non-commercial use and may not be used for any purpose other than to identify prospective properties you may be interested in purchasing. Display of MLS data is usually deemed reliable but is NOT guaranteed accurate by the MLS. Buyers are responsible for verifying the accuracy of all information and should investigate the data themselves or retain appropriate professionals. Information from sources other than the Listing Agent may have been included in the MLS data. Unless otherwise specified in writing, Broker/Agent has not and will not verify any information obtained from other sources. The Broker/Agent providing the information contained herein may or may not have been the Listing and/or Selling Agent.