Connect

Find us on...

Dashboard

Login using...

Shawn Bengtson

Office Broker - DRE 01236964

  • Office 760-805-7199
Questions?

700 Hoffman Road, Red Mountain – $14,900

  • $14.9k Price
  • 20 Acres
  • 89 DOM
  • $14.9k Price
  • 20 Acres
  • 89 DOM

700 Hoffman Road

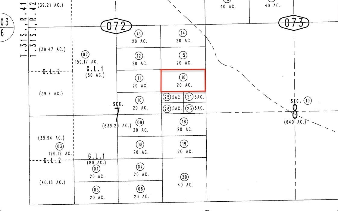
REDUCED!! 20 RURAL acres in the Mojave desert! This property is northeast of Kramer Junction close to the Grass Valley Wilderness area. This property would make a perfect camping spot as it has road access, is close to many off roading areas, and it's right next to 640 acres of government owned land! Bring your camper and off road toys out for fun in the sun! 20 acres for under $20,000...It doesn't get better than that! APN# 0504-072-16-0000 Coordinates:35.254139 /-117.509463 This property does not have an address assigned. "700 Hoffman Rd" is for listing purposes only.

Essential Information

  • MLS® #HD25252339
  • Price$14,900
  • Bathrooms0.00
  • Acres20.00
  • TypeLand
  • StatusActive

Community Information

  • Address700 Hoffman Road
  • Area699 - Not Defined
  • CityRed Mountain
  • CountySan Bernardino
  • Zip Code93558

Amenities

  • UtilitiesNone, Water Not Available
  • ViewDesert, Mountain(s), Valley

Exterior

Lot Description

Desert Back, Desert Front, Secluded

Additional Information

  • Date ListedNovember 2nd, 2025
  • Days on Market89
  • ZoningRC

Listing Details

  • AgentNicole Craft
  • OfficeNicole Craft, Broker
Please provide a valid email address.

Nicole Craft, Nicole Craft, Broker.

Based on information from California Regional Multiple Listing Service, Inc. as of January 30th, 2026 at 6:30am PST. This information is for your personal, non-commercial use and may not be used for any purpose other than to identify prospective properties you may be interested in purchasing. Display of MLS data is usually deemed reliable but is NOT guaranteed accurate by the MLS. Buyers are responsible for verifying the accuracy of all information and should investigate the data themselves or retain appropriate professionals. Information from sources other than the Listing Agent may have been included in the MLS data. Unless otherwise specified in writing, Broker/Agent has not and will not verify any information obtained from other sources. The Broker/Agent providing the information contained herein may or may not have been the Listing and/or Selling Agent.