Connect

Find us on...

Dashboard

Login using...

Shawn Bengtson

Office Broker - DRE 01236964

  • Office 760-805-7199
Questions?

Cajon Blvd, San Bernardino – $9,450,000

  • $9.5M Price
  • 54 Acres
  • 21 DOM
  • $9.5M Price
  • 54 Acres
  • 21 DOM

Cajon Blvd

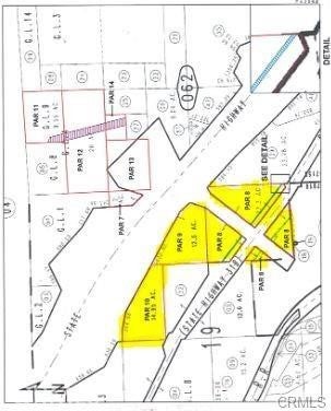
Discover a prime investment opportunity with over 54 acres of strategically located land nestled between the 15 Freeway and Cajon Boulevard in San Bernardino, California. Offering exceptional accessibility and visibility, this expansive property is ideal for a wide range of developments, including logistics, commercial, or industrial projects. With its proximity to major transportation corridors, including the Cajon Pass, and the vibrant Inland Empire region, this land presents unparalleled potential for growth and connectivity. Whether you're looking to expand your portfolio or develop a game-changing project, this prime location offers a rare blend of opportunity and versatility. Total of 54 acres on Westside of the I-15 fwy***ONLY*** APN 0349-041-56-0000: Parcels 10 (14.95 ac), Parcel 9 (12.5 acres) & Parcel 8 (27.3 acres) only included in sale. See Plat Map Photo. Terms Available.

Essential Information

  • MLS® #HD25268629
  • Price$9,450,000
  • Bathrooms0.00
  • Acres54.00
  • TypeLand
  • StatusActive

Community Information

  • AddressCajon Blvd
  • Area274 - San Bernardino
  • CitySan Bernardino
  • CountySan Bernardino
  • Zip Code92407

Amenities

  • ViewMountain(s)

Exterior

Lot Description

Secluded, Lot Over 40000 Sqft, Rolling Slope

Additional Information

  • Date ListedNovember 24th, 2025
  • Days on Market21
  • ZoningRC

Listing Details

  • AgentNicholas Dicosola
  • OfficeColdwell Banker Commercial Rea
Please provide a valid email address.

Nicholas Dicosola, Coldwell Banker Commercial Rea.

Based on information from California Regional Multiple Listing Service, Inc. as of December 22nd, 2025 at 12:25am PST. This information is for your personal, non-commercial use and may not be used for any purpose other than to identify prospective properties you may be interested in purchasing. Display of MLS data is usually deemed reliable but is NOT guaranteed accurate by the MLS. Buyers are responsible for verifying the accuracy of all information and should investigate the data themselves or retain appropriate professionals. Information from sources other than the Listing Agent may have been included in the MLS data. Unless otherwise specified in writing, Broker/Agent has not and will not verify any information obtained from other sources. The Broker/Agent providing the information contained herein may or may not have been the Listing and/or Selling Agent.