Connect

Find us on...

Dashboard

Login using...

Shawn Bengtson

Office Broker - DRE 01236964

  • Office 760-805-7199
Questions?

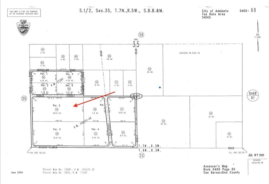
749 Torosa/topaz Road, Adelanto – $95,000

  • $95k Price
  • 18.54 Acres
  • 72 DOM
  • $95k Price
  • 18.54 Acres
  • 72 DOM

749 Torosa/topaz Road

18.5 acres in northern Adelanto zoned "Desert Living" in an area that is ripe for development! This property is conveniently located east of Hwy 395 and just north of the Southern California Logistics Airport. This area could be great for future commercial development or residential housing. Interested buyers should check with the city to determine specific uses for this zoning and look into future rezoning if desired. Adelanto is a fast growing city with room for expansion. Don't miss out on this investment opportunity! Seller might be willing to finance! Property does not have an address assigned "749 Torosa/Topaz" is for listing purposes only. APN# 0460-601-19-0000 Coordinates:34.648400 /-117.382218

Essential Information

  • MLS® #HD25268721
  • Price$95,000
  • Bathrooms0.00
  • Acres18.54
  • TypeLand
  • StatusActive

Community Information

  • Address749 Torosa/topaz Road
  • AreaADL - Adelanto
  • CityAdelanto
  • CountySan Bernardino
  • Zip Code92301

Amenities

  • UtilitiesNone, Water Not Available
  • ViewDesert, Mountain(s)

Exterior

  • Lot DescriptionSixteenToTwentyUnitsAcre

Additional Information

  • Date ListedDecember 1st, 2025
  • Days on Market72
  • ZoningDesert Living

Listing Details

  • AgentNicole Craft
  • OfficeNicole Craft, Broker
Please provide a valid email address.

Nicole Craft, Nicole Craft, Broker.

Based on information from California Regional Multiple Listing Service, Inc. as of February 11th, 2026 at 11:45am PST. This information is for your personal, non-commercial use and may not be used for any purpose other than to identify prospective properties you may be interested in purchasing. Display of MLS data is usually deemed reliable but is NOT guaranteed accurate by the MLS. Buyers are responsible for verifying the accuracy of all information and should investigate the data themselves or retain appropriate professionals. Information from sources other than the Listing Agent may have been included in the MLS data. Unless otherwise specified in writing, Broker/Agent has not and will not verify any information obtained from other sources. The Broker/Agent providing the information contained herein may or may not have been the Listing and/or Selling Agent.