Connect

Find us on...

Dashboard

Login using...

Shawn Bengtson

Office Broker - DRE 01236964

  • Office 760-805-7199
Questions?

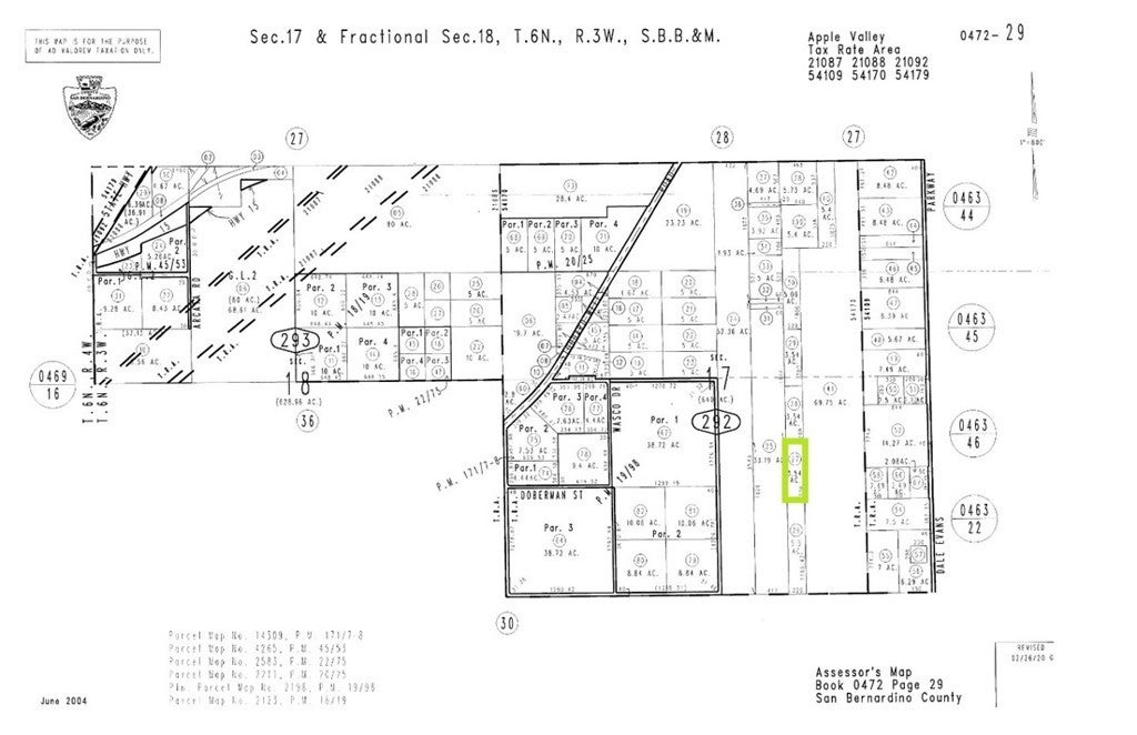
47229227 Harris Lane, Apple Valley – $99,990

  • $100k Price
  • 3.54 Acres
  • 83 DOM
  • $100k Price
  • 3.54 Acres
  • 83 DOM

47229227 Harris Lane

***Come VIEW and MAKE an OFFER TODAY! Affordable LAND OPPORTUNITY located in expanding Apple Valley CA. The 3.54 ACRE parcel is positioned about one block from the Johnson Rd and Dale Evans Pkwy intersection, plus close to the Stoddard Wells exit off I-15 offering excellent access to all of Southern CA. Zoned RL - Rural Living the parcel allows for many different uses including residential, industrial, commercial, and agricultural. Right in the path of growth the site is about 2 miles away from where the BRIGHTLINE WEST High Speed Train Station will be breaking ground soon at the Dale Evans Pkwy and Interstate-15 exit. In addition, the area is quickly becoming an essential distribution hub with existing centers in operation and new facilities currently under construction. The parcel is ideal for anyone needing extra space for their own personal use, and would be perfect for any truck drivers that need to park trailers close to where they might be picking up loads from nearby distribution centers. In addition, power lines run adjacent to the property. As an added bonus the parcel previously had a structure on site and a WELL was drilled at one time that may be salvageable. With so much potential and growth coming to the area, this is a MUST SEE OPPORTUNITY before its too late.***

Essential Information

  • MLS® #HD25269577
  • Price$99,990
  • Bathrooms0.00
  • Acres3.54
  • TypeLand
  • StatusActive

Community Information

  • Address47229227 Harris Lane
  • AreaAPPV - Apple Valley
  • CityApple Valley
  • CountySan Bernardino
  • Zip Code92307

Amenities

  • ViewDesert, Valley

Exterior

Lot Description

Level, Street Level, Horse Property, Rectangular Lot

Additional Information

  • Date ListedDecember 2nd, 2025
  • Days on Market83
  • ZoningRL

Listing Details

  • AgentJeffrey Nyal
  • OfficeColdwell Banker Home Source
Please provide a valid email address.

Jeffrey Nyal, Coldwell Banker Home Source.

Based on information from California Regional Multiple Listing Service, Inc. as of February 23rd, 2026 at 2:41am PST. This information is for your personal, non-commercial use and may not be used for any purpose other than to identify prospective properties you may be interested in purchasing. Display of MLS data is usually deemed reliable but is NOT guaranteed accurate by the MLS. Buyers are responsible for verifying the accuracy of all information and should investigate the data themselves or retain appropriate professionals. Information from sources other than the Listing Agent may have been included in the MLS data. Unless otherwise specified in writing, Broker/Agent has not and will not verify any information obtained from other sources. The Broker/Agent providing the information contained herein may or may not have been the Listing and/or Selling Agent.