Connect

Find us on...

Dashboard

Login using...

Shawn Bengtson

Office Broker - DRE 01236964

  • Office 760-805-7199
Questions?

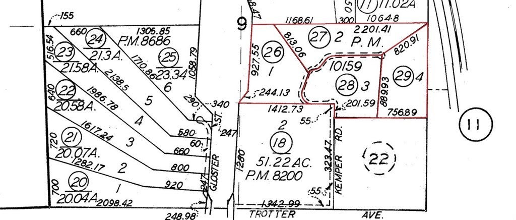
10600 Kemper Road, Mojave – $100,000

  • $100k Price
  • 72½ Acres
  • 71 DOM
  • $100k Price
  • 72½ Acres
  • 71 DOM

10600 Kemper Road

Premier Agricultural Land with High-Visibility Potential An expansive opportunity awaits with these 72+/- acres strategically positioned between Highway 14 and Sierra Highway. This offering consists of four individual parcels, providing a versatile canvas for agricultural use, residential development, or a unique investment in a high-traffic corridor. Property Highlights: • Expansive Acreage: Approximately 72 acres divided into four lots. Purchase one specific parcel or the entire portfolio. • Strategic Location: Exceptional visibility from both Highway 14 and Sierra Highway, making this a prime billboard property for maximum exposure. • Development Potential: Zoned as Exclusive Agriculture, allowing for the construction of a home on each individual lot. • Stunning Vistas: Elevated positioning offers beautiful views of the Mojave landscape and evening city lights. • Utilities & Access: Electricity lines are located on the adjacent northern lot. Access is available via Kemper Rd and Trotter Ave. (Buyer to verify water/well requirements). Location & Access: The property is easily accessible via Trotter Ave from Sierra Highway. For those looking to capitalize on the proximity to the freeway and the high-visibility frontage, this land offers a rare combination of rural privacy and commercial-grade exposure.

Essential Information

  • MLS® #HD26009716
  • Price$100,000
  • Bathrooms0.00
  • Acres72.50
  • TypeLand
  • StatusActive

Community Information

  • Address10600 Kemper Road
  • AreaMOJV - Mojave
  • CityMojave
  • CountyKern
  • Zip Code93501

Amenities

  • ViewValley

Exterior

  • Lot DescriptionRectangular Lot

Additional Information

  • Date ListedJanuary 14th, 2026
  • Days on Market71
  • ZoningAgriculture

Listing Details

  • AgentPolly Yamat
  • OfficeBancorp One, Inc.
Please provide a valid email address.

Polly Yamat, Bancorp One, Inc..

Based on information from California Regional Multiple Listing Service, Inc. as of March 26th, 2026 at 3:50am PDT. This information is for your personal, non-commercial use and may not be used for any purpose other than to identify prospective properties you may be interested in purchasing. Display of MLS data is usually deemed reliable but is NOT guaranteed accurate by the MLS. Buyers are responsible for verifying the accuracy of all information and should investigate the data themselves or retain appropriate professionals. Information from sources other than the Listing Agent may have been included in the MLS data. Unless otherwise specified in writing, Broker/Agent has not and will not verify any information obtained from other sources. The Broker/Agent providing the information contained herein may or may not have been the Listing and/or Selling Agent.