Connect

Find us on...

Dashboard

Login using...

Shawn Bengtson

Office Broker - DRE 01236964

  • Office 760-805-7199
Questions?

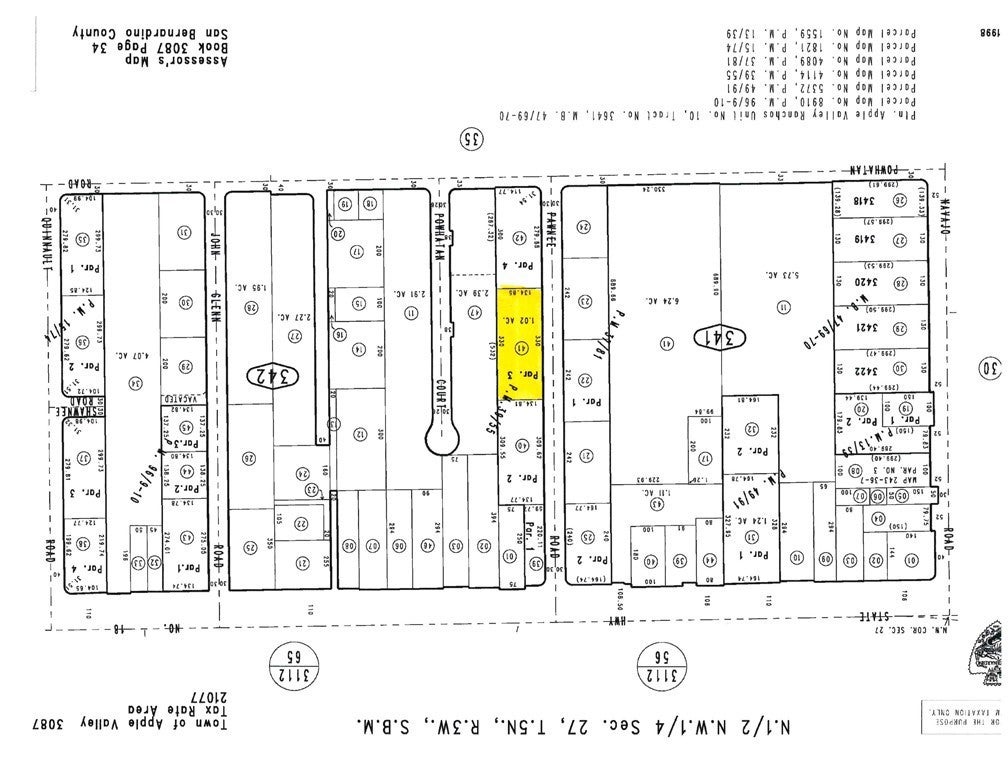
Pawnee Road, Apple Valley – $150,000

  • $150k Price
  • 1.02 Acres
  • 7 DOM
  • $150k Price
  • 1.02 Acres
  • 7 DOM

Pawnee Road

Take advantage of this exceptional opportunity to acquire premier industrial land in the rapidly developing Apple Valley industrial hub. This 1.02-acre buildable lot comes with utilities to the site, making it ready for development. Opportunities like this are hard to find. Perfect for industrial development, warehousing, or investment, this lot provides both strategic location and development readiness in a rapidly expanding industrial hub. Strategically located in Apple Valley’s fastest-growing industrial corridor, this 1.02-acre parcel sits within a burgeoning hub of logistics, warehousing, and manufacturing activity. With direct access to major arterials and proximity to regional infrastructure—including highways, rail, and future industrial developments—this site is ideally positioned for businesses seeking operational efficiency and growth. Surrounded by newly constructed facilities and planned projects, the property benefits from increasing industrial demand and rising land values. Whether for immediate development or long-term investment, this location offers exceptional potential in one of the High Desert’s most active industrial markets.

Essential Information

  • MLS® #HD26061517
  • Price$150,000
  • Bathrooms0.00
  • Acres1.02
  • TypeLand
  • StatusActive

Community Information

  • AddressPawnee Road
  • AreaAPPV - Apple Valley
  • CityApple Valley
  • CountySan Bernardino
  • Zip Code92308

Amenities

  • ViewDesert

Exterior

  • Lot DescriptionRectangular Lot

Additional Information

  • Date ListedMarch 20th, 2026
  • Days on Market7
  • ZoningSpecific Plan

Listing Details

  • AgentElizabeth Brown
  • OfficeLee & Associates
Please provide a valid email address.

Elizabeth Brown, Lee & Associates.

Based on information from California Regional Multiple Listing Service, Inc. as of March 27th, 2026 at 9:30pm PDT. This information is for your personal, non-commercial use and may not be used for any purpose other than to identify prospective properties you may be interested in purchasing. Display of MLS data is usually deemed reliable but is NOT guaranteed accurate by the MLS. Buyers are responsible for verifying the accuracy of all information and should investigate the data themselves or retain appropriate professionals. Information from sources other than the Listing Agent may have been included in the MLS data. Unless otherwise specified in writing, Broker/Agent has not and will not verify any information obtained from other sources. The Broker/Agent providing the information contained herein may or may not have been the Listing and/or Selling Agent.