Connect

Find us on...

Dashboard

Login using...

Shawn Bengtson

Office Broker - DRE 01236964

  • Office 760-805-7199
Questions?

2373 Sea Life Place, Salton City – $8,000

  • $8k Price
  • .23 Acres
  • 225 DOM
  • $8k Price
  • .23 Acres
  • 225 DOM

2373 Sea Life Place

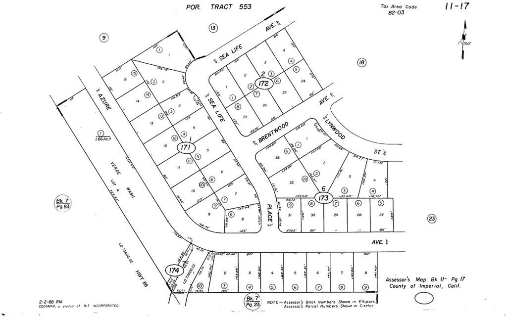
The address associated with this parcel is 2373 Sea Life Pl, Salton City CA 92274. What is reflected is the Parcel# 011-171-003-000 which is +/-0.2341 Acres. Zoning is R-1. Located in the area of Salton City which is Unincorporated Imperial County. Access via dirt Sea Life Pl.

Essential Information

  • MLS® #IG25133975
  • Price$8,000
  • Bathrooms0.00
  • Acres0.23
  • TypeLand
  • StatusActive

Community Information

  • Address2373 Sea Life Place
  • Area699 - Not Defined
  • CitySalton City
  • CountyImperial
  • Zip Code92275

Amenities

  • UtilitiesWater Not Available
  • ViewDesert

Exterior

  • Lot DescriptionDesert Front

Additional Information

  • Date ListedJune 14th, 2025
  • Days on Market225
  • ZoningR-1

Listing Details

  • AgentAaron De Franco
  • OfficeKELLER WILLIAMS REALTY
Please provide a valid email address.

Price Change History for 2373 Sea Life Place, Salton City, (MLS® #IG25133975)

Date Details Change
Price Reduced from $19,000 to $8,000 $11,000 (57.89%)

Aaron De Franco, KELLER WILLIAMS REALTY.

Based on information from California Regional Multiple Listing Service, Inc. as of January 26th, 2026 at 7:20pm PST. This information is for your personal, non-commercial use and may not be used for any purpose other than to identify prospective properties you may be interested in purchasing. Display of MLS data is usually deemed reliable but is NOT guaranteed accurate by the MLS. Buyers are responsible for verifying the accuracy of all information and should investigate the data themselves or retain appropriate professionals. Information from sources other than the Listing Agent may have been included in the MLS data. Unless otherwise specified in writing, Broker/Agent has not and will not verify any information obtained from other sources. The Broker/Agent providing the information contained herein may or may not have been the Listing and/or Selling Agent.