Connect

Find us on...

Dashboard

Login using...

Shawn Bengtson

Office Broker - DRE 01236964

  • Office 760-805-7199
Questions?

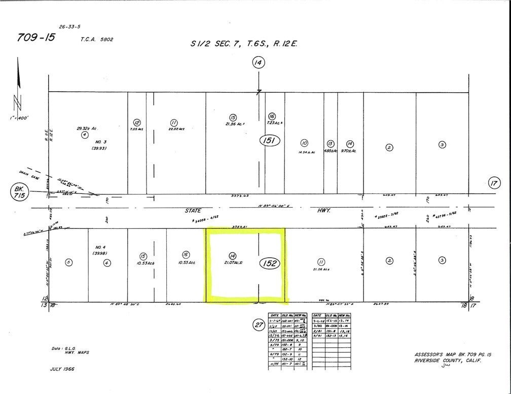
Hwy 10, Desert Center – $49,894

  • $49.9k Price
  • 21.07 Acres
  • 47 DOM
  • $49.9k Price
  • 21.07 Acres
  • 47 DOM

Hwy 10

Undeveloped Land Near I-10 | Estate Zoning | Long-Term Investment Approximately 21.07 acres (±917,809 sq ft) of vacant land located on a road running parallel to Interstate 10, positioned between Thermal and Chiriaco Summit, California. While not directly fronting the freeway, the property benefits from close proximity to I-10, providing regional access without direct highway exposure. The parcel is currently zoned for approximately 10-acre estate parcels, offering flexibility for a variety of long-term hold or estate-style development strategies, subject to buyer verification and local approvals. Situated within the broader Salton Sea region, the area continues to see attention related to infrastructure planning and evolving industrial activity. The land is undeveloped, with no utilities on site. Buyers are advised to perform all independent due diligence regarding zoning, access, utilities, and future land use. A rare opportunity to acquire a sizable acreage holding with estate zoning in a strategic desert corridor. BRING ALL OFFERS.

Essential Information

  • MLS® #IG26011939
  • Price$49,894
  • Bathrooms0.00
  • Acres21.07
  • TypeLand
  • StatusActive Under Contract

Community Information

  • AddressHwy 10
  • CityDesert Center
  • CountyRiverside
  • Zip Code92236

Area

319 - Desert Center, Eagle Mountain

Amenities

  • UtilitiesNone, Water Not Available
  • ViewDesert, Hills, Valley

Exterior

Lot Description

TwentyOneToTwentyFiveUnitsAcre, Value In Land

Additional Information

  • Date ListedJanuary 15th, 2026
  • Days on Market47
  • ZoningW-2-10

Listing Details

  • AgentChristine Cali
  • OfficeKELLER WILLIAMS-LA QUINTA
Please provide a valid email address.

Price Change History for Hwy 10, Desert Center, (MLS® #IG26011939)

Date Details Change
Status Changed from Active to Active Under Contract
Price Reduced from $79,000 to $49,894 $29,106 (36.84%)

Christine Cali, KELLER WILLIAMS-LA QUINTA.

Based on information from California Regional Multiple Listing Service, Inc. as of March 4th, 2026 at 8:25pm PST. This information is for your personal, non-commercial use and may not be used for any purpose other than to identify prospective properties you may be interested in purchasing. Display of MLS data is usually deemed reliable but is NOT guaranteed accurate by the MLS. Buyers are responsible for verifying the accuracy of all information and should investigate the data themselves or retain appropriate professionals. Information from sources other than the Listing Agent may have been included in the MLS data. Unless otherwise specified in writing, Broker/Agent has not and will not verify any information obtained from other sources. The Broker/Agent providing the information contained herein may or may not have been the Listing and/or Selling Agent.